横浜市緑区鴨居町(神奈川県)から土地・売地・宅地・分譲地を検索するならニフティ不動産。あなたにピッタリのお部屋を探そう!
横浜市緑区鴨居町(神奈川県)の土地・売地・宅地・分譲地
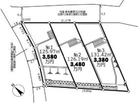
横浜市緑区鴨居町の土地・売地・宅地・分譲地をさまざまな条件から検索
並び替え
&
6件(1〜6件を表示)
6件(1〜6件を表示)
横浜市緑区鴨居町(神奈川県)の土地・売地・宅地・分譲地横浜市緑区鴨居町の土地・売地・宅地・分譲地をさまざまな条件から検索
横浜市緑区の口コミ
30代/女性/元住人

駅前にマルエツ、坂を下ればオーケーがあります。
有名な精肉店や、品ぞろえの良い酒屋、テレビで紹介されたパン屋もあります。
バスに乗れば大きなホームセンターもあります。
コンビニも各種あるので、荷物の受け取りなども便利です。
50代/女性/元住人

大きな公園があり、緑がとても多い地域です。
田園都市線沿線ですが、都会とはまた違った雰囲気で良いです。
横浜市緑区周辺の口コミをもっと見る
※口コミは「
マンションノート
」が情報提供しています。口コミに関するお問い合わせは、
こちら
からお願いします。
ニフティ不動産の横浜市緑区鴨居町の物件情報は、物件一括検索参加パートナーが提供しています。ニフティ株式会社は物件の内容について一切の責任を負いません。
【横浜市緑区鴨居町】のその他のメニューはこちらから
おうち時間を豊かにするヒント
サイディング外壁はDIY塗装できる?手順・費用・失敗を防ぐコツを解説
「サイディング外壁の塗装、自分でやれば費用を抑えられるのでは?」と考えたことはありませんか?
DIYなら30万〜50万円程度で施工でき、プロに依頼する場合の相場(30坪前後で70万〜120万円程度)と比べて費用を抑えられます。
塗料の種類や劣化状況によってはさらに高額になるケースもあるため、DIYで抑えられるコストは大きな利点です。