NEW中古売戸建住宅福島県岩瀬郡天栄村大字田良尾字芝草の中古売戸建住宅の詳細情報
掲載期限まであと11日
物件概要
| 物件名 | 福島県岩瀬郡天栄村大字田良尾字芝草の中古売戸建住宅 | ||||
|---|---|---|---|---|---|
| 所在地 | 福島県岩瀬郡天栄村大字田良尾字芝草 | ||||
| 交通 |
JR東北新幹線新白河駅徒歩25000m | ||||
| 建物構造 | 木造/2階建 | 最多価格帯 | - | ||
| 販売戸数/総戸数 | -/- | 主要採光面 | 南 | ||
| 引渡し | 相談 | 現況 | 空 | ||
| 管理 | - | 駐車場 | - | ||
| 地目 | 宅地 | 地勢 | 平坦 | ||
| 都市計画 | 区域外 | 用途地域 | - | ||
| 建ぺい率 | 10.00% | 容積率 | 20.00% | ||
| 土地権利 | 所有権 | 国土法届出 | - | ||
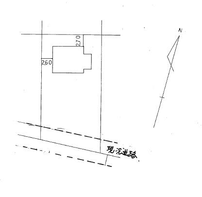
| 私道負担・道路 | 備考に記載 | 接道状況 | 南 6.0m 私道 接面14.3m | ||
| セットバック | - | リフォーム | - | ||
| リノベーション | - | 取引態様 | 代理 | ||
| 施工会社名 | - | 建築確認番号 | - | ||
| その他費用 | 共益費/年:88,011円 | ||||
| その他制限事項 | - | ||||
| 備考 | 維持費等:共益費88,011円/年・私営水道26,400円/年・私道負担:あり43平米・羽鳥平和郷の別荘です。14帖のLDKに8帖の洋室と和室がついています。 | ||||
情報公開日:2025/11/27 次回更新予定日:情報更新日より14日以内
取り扱い不動産会社
- 住所
- 東京都新宿区西新宿6丁目6-3新宿国際ビル新館8F
- 電話番号
- 03-5325-5110
- 営業時間
- 09:00~18:00
- 定休日
- 日・祭日
- 免許番号
- 東京都知事免許(9)第53830号
- 所属団体
- (公社)東京都宅地建物取引業協会、(公社)首都圏不動産公正取引協議会
掲載期限まであと11日
新白河駅の口コミ
お買い物・飲食
5.0
普段の買い物には全く困りません。若者向けの衣料品がしまむら系やユニクロのみなのが少し残念です。飲食店は多くはないけれどファストフードやテイクアウト、ピザにラーメン、定食屋さんに韓国料理があって楽したい時に利用していました。
お買い物・飲食
4.0
近くにイオンがあります。そんなに大きくないですが日常の買い物には困りませんでした。コンビニやチェーンの飲食店も多いです。
住宅ローンシミュレーション
住宅ローン設定
物件価格
返済期間
頭金
ボーナス払(年1回)
※
※物件価格の80%以下でお借入れの場合
※50歳以下で一般団信をご選択の場合
※住宅ローン金利優遇割適用後の変動金利(全期間引き下げプラン)
※実際のお借入日の金利により変動します。
※審査の結果によっては保証付金利プランとなる場合があり、この場合は上記とは異なる金利となります。
※別途借入金額の2.20%(税込)の事務手数料が発生します。
ボーナス払 | 35年間返済 | 30年間返済 | 25年間返済 | 20年間返済 | 15年間返済 | 10年間返済 |
|---|---|---|---|---|---|---|
0万円 | -円/月 | -円/月 | -円/月 | -円/月 | -円/月 | -円/月 |
5万円 | -円/月 | -円/月 | -円/月 | -円/月 | -円/月 | -円/月 |
10万円 | -円/月 | -円/月 | -円/月 | -円/月 | -円/月 | -円/月 |
15万円 | -円/月 | -円/月 | -円/月 | -円/月 | -円/月 | -円/月 |
20万円 | -円/月 | -円/月 | -円/月 | -円/月 | -円/月 | -円/月 |
25万円 | -円/月 | -円/月 | -円/月 | -円/月 | -円/月 | -円/月 |
30万円 | -円/月 | -円/月 | -円/月 | -円/月 | -円/月 | -円/月 |
ボーナス払 | 35年間返済 | 30年間返済 | 25年間返済 | 20年間返済 | 15年間返済 | 10年間返済 |
|---|---|---|---|---|---|---|
0万円 | -円/月 | -円/月 | -円/月 | -円/月 | -円/月 | -円/月 |
5万円 | -円/月 | -円/月 | -円/月 | -円/月 | -円/月 | -円/月 |
10万円 | -円/月 | -円/月 | -円/月 | -円/月 | -円/月 | -円/月 |
15万円 | -円/月 | -円/月 | -円/月 | -円/月 | -円/月 | -円/月 |
20万円 | -円/月 | -円/月 | -円/月 | -円/月 | -円/月 | -円/月 |
25万円 | -円/月 | -円/月 | -円/月 | -円/月 | -円/月 | -円/月 |
30万円 | -円/月 | -円/月 | -円/月 | -円/月 | -円/月 | -円/月 |
- ・金利は、今後35年間変動しない仮定のもと元利均等返済方式で計算しております。
- ・実際の金利は、各金融機関のホームページをご参照ください。
- ・ローン契約の際には、手数料や印紙税などの諸費用が別途かかります。
- ・ボーナス支払総額が総支払額の50%を超えている場合、上記の表では「ローン不可」となります。
- ・シミュレーションを利用し、それが原因で利用者が受けたいかなる損害についても当社は一切責任を負いません。あらかじめご了承ください。
















