NEW新築売戸建住宅福岡県北九州市小倉北区新高田1丁目の新築売戸建住宅の詳細情報
この物件は未完成のため、掲載写真(外観、内観、設備等)には、施工例が含まれている場合があります。物件詳細については、掲載の不動産会社宛にお問合せください。
掲載期限まであと13日
物件概要
| 物件名 | 福岡県北九州市小倉北区新高田1丁目の新築売戸建住宅 | ||||
|---|---|---|---|---|---|
| 所在地 | 福岡県北九州市小倉北区新高田1丁目 | ||||
| 交通 |
JR日豊本線 「南小倉」駅 徒歩7分 JR日田彦山線 「南小倉」駅 徒歩7分 北九州高速鉄道 「片野」駅 徒歩23分 | ||||
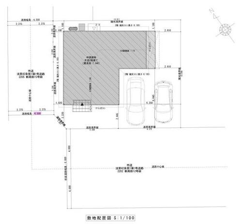
| 構造および階数 | 木造・2階建 | 建ぺい率・容積率 | 60.00%・200.00% | ||
| 完成予定日 | 2026年03月 | 入居可能予定日 | 2026年03月下旬(21日~末日)(予定) | ||
| 土地権利 | 所有権 | ||||
| 駐車場 | 有 (無料) | 国土法届出 | - | ||
| 私道負担・道路 | - | 道路付け | 南 8.0m 公道 接面12.7m西 3.8m 公道 接面11.3m | ||
| 地目 | 宅地 | 都市計画 | 市街化区域 | ||
| 取引態様 | 専任媒介 | 用途地域 | 1種中高 | ||
| 施工会社 | - | ||||
| 建築確認番号 | 第 R07確認建築福住セ北00513 号 | ||||
| 設備 | 収納スペース・追焚機能・フローリング・浴室乾燥機・Wクロゼット・シャンプードレッサー・ウォシュレット・システムキッチン・カウンターキッチン・モニタ付インターホン・クロゼット・トイレ2ヶ所・IHクッキングヒータ・食器洗浄乾燥機・食器乾燥機・ディンプルキー・電気・上水道・下水道 | ||||
| 備考 | 角地なので開放感もあり、明るいお家です♪ウォークインクローゼットもあり収納数もばっちりです♪・角地なので開放感もあり、明るいお家です♪ウォークインクローゼットもあり収納数もばっちりです♪・仲介手数料:売買代金の3%+60,000円 | ||||
情報更新日:2025/11/06 次回更新予定日:情報更新日より14日以内
販売概要
| 販売価格 | 3,520万円 お問い合わせはこちら | ||||
|---|---|---|---|---|---|
| 販売戸数/総戸数 | -/- | ||||
| 最多価格帯 | - | ||||
| 間取り | 4LDK | ||||
| 建物面積 | 101.85㎡ | 土地面積 | 137.78㎡ | ||
| その他施設費用、償却費 | - / - | ||||
| その他費用 | - | ||||
会社情報
| お問い合わせ先 |
(株)ネクストーン 093-742-1777 上記の電話番号にお問合せください。(携帯・PHS 可) 【物件番号】6988295316 | ||||
|---|---|---|---|---|---|
| 会社概要 |
(株)ネクストーン[福岡県知事免許(2)第18654号] 福岡県北九州市若松区小敷ひびきの1丁目16番12号LEGEND157 103号 【所属団体】 (公社)福岡県宅地建物取引業協会、(一社)九州不動産公正取引協議会 | ||||
取り扱い不動産会社
- 電話番号
- 093-742-1777
- 営業時間
- 10:00~17:30(日曜日は管理、経理は定休。営業部のみ営業)
- 定休日
- 日曜日・GW、お盆、年末年始
- 物件番号
- 6988295316
掲載期限まであと13日
南小倉駅の口コミ
お買い物・飲食
5.0
スーパーも近いし、小さい飲食店が多くあるエリアですごく住みやすかった。コンビニも少し歩いたらあったので便利だった
子育て・病院
3.0
子供が多く、人目も多いため安心。 病院、クリニック、スーパー、コンビニ充実で普段過ごす分には不自由ない。
住宅ローンシミュレーション
住宅ローン設定
物件価格
返済期間
頭金
ボーナス払(年1回)
※
※物件価格の80%以下でお借入れの場合
※50歳以下で一般団信をご選択の場合
※住宅ローン金利優遇割適用後の変動金利(全期間引き下げプラン)
※実際のお借入日の金利により変動します。
※審査の結果によっては保証付金利プランとなる場合があり、この場合は上記とは異なる金利となります。
※別途借入金額の2.20%(税込)の事務手数料が発生します。
ボーナス払 | 35年間返済 | 30年間返済 | 25年間返済 | 20年間返済 | 15年間返済 | 10年間返済 |
|---|---|---|---|---|---|---|
0万円 | -円/月 | -円/月 | -円/月 | -円/月 | -円/月 | -円/月 |
5万円 | -円/月 | -円/月 | -円/月 | -円/月 | -円/月 | -円/月 |
10万円 | -円/月 | -円/月 | -円/月 | -円/月 | -円/月 | -円/月 |
15万円 | -円/月 | -円/月 | -円/月 | -円/月 | -円/月 | -円/月 |
20万円 | -円/月 | -円/月 | -円/月 | -円/月 | -円/月 | -円/月 |
25万円 | -円/月 | -円/月 | -円/月 | -円/月 | -円/月 | -円/月 |
30万円 | -円/月 | -円/月 | -円/月 | -円/月 | -円/月 | -円/月 |
ボーナス払 | 35年間返済 | 30年間返済 | 25年間返済 | 20年間返済 | 15年間返済 | 10年間返済 |
|---|---|---|---|---|---|---|
0万円 | -円/月 | -円/月 | -円/月 | -円/月 | -円/月 | -円/月 |
5万円 | -円/月 | -円/月 | -円/月 | -円/月 | -円/月 | -円/月 |
10万円 | -円/月 | -円/月 | -円/月 | -円/月 | -円/月 | -円/月 |
15万円 | -円/月 | -円/月 | -円/月 | -円/月 | -円/月 | -円/月 |
20万円 | -円/月 | -円/月 | -円/月 | -円/月 | -円/月 | -円/月 |
25万円 | -円/月 | -円/月 | -円/月 | -円/月 | -円/月 | -円/月 |
30万円 | -円/月 | -円/月 | -円/月 | -円/月 | -円/月 | -円/月 |
- ・金利は、今後35年間変動しない仮定のもと元利均等返済方式で計算しております。
- ・実際の金利は、各金融機関のホームページをご参照ください。
- ・ローン契約の際には、手数料や印紙税などの諸費用が別途かかります。
- ・ボーナス支払総額が総支払額の50%を超えている場合、上記の表では「ローン不可」となります。
- ・シミュレーションを利用し、それが原因で利用者が受けたいかなる損害についても当社は一切責任を負いません。あらかじめご了承ください。



