新築一戸建てリナージュ菊池郡大津町大津第1期-1号棟 新築戸建の詳細情報
3350万円
月々のローン返済額を試算この物件は未完成のため、掲載写真(外観、内観、設備等)には、施工例が含まれている場合があります。物件詳細については、掲載の不動産会社宛にお問合せください。
掲載期限まであと5日
外観・室内・設備(9枚)
周辺環境・アクセス(6枚)
物件概要
| 物件名 | リナージュ菊池郡大津町大津第1期-1号棟 新築戸建 | ||||
|---|---|---|---|---|---|
| 所在地 | 熊本県菊池郡大津町大字大津 | ||||
| 交通 |
JR豊肥本線「肥後大津」駅 引の水からバス乗車3分 徒歩12分 | ||||
| 構造および階数 | 木造 地上2階建て | 建ぺい率・容積率 | 50%(建ぺい率) 100%(容積率) | ||
| 完成予定日 | 完成済み | 入居可能予定日 | 即日可 | ||
| 土地権利 | 所有権 | ||||
| 駐車場 | 3台 | 国土法届出 | 届出不要 | ||
| 地目 | 宅地 | 都市計画 | 非線引区域 | ||
| 道路付け | 北側4.5m公道 | 機構融資 | - | ||
| 取引態様 | 有限会社ジパング(仲介) | 用途地域 | 第二種低層住居専用 | ||
| 施工会社 | - | ||||
| 建築確認番号 | 完成済み | ||||
| 設備 | 水道:公営 排水:公共下水 ガス:都市ガス 電気:有 | ||||
| 備考 |
LiGNAGE(リナージュ)は、アイディホームの住宅ブランド名です。 フランス語で「血統」を意味するこの名前は、「良質な住宅を提供し続ける」という企業ポリシーを正統に受け継ぐ住まいであることを表しています。 ◇比べる前に、一度見てください!◇予約見学でQUOカード最大2万円分進呈♪さらにエアコン3台も設置いたします♪ 【駐車3台】【美咲野小・大津北中】【個別プロパン】 住宅ローンに自信あり!購入にあたっての丁寧な説明と、専門スタッフによるしっかり安心サポートが好評いただいております。しっかりサポート致しますので、お話ししにくいことなどもお聞かせください♪<秘密厳守> | ||||
情報更新日:2026/01/06 次回更新予定日:2026/01/12
販売概要
| 販売価格 | 3350万円 お問い合わせはこちら | ||||
|---|---|---|---|---|---|
| 販売スケジュール | - | ||||
| 販売戸数/総戸数 | 1戸/1戸 | ||||
| 最多価格帯 | - | ||||
| 間取り | 4LDK | ||||
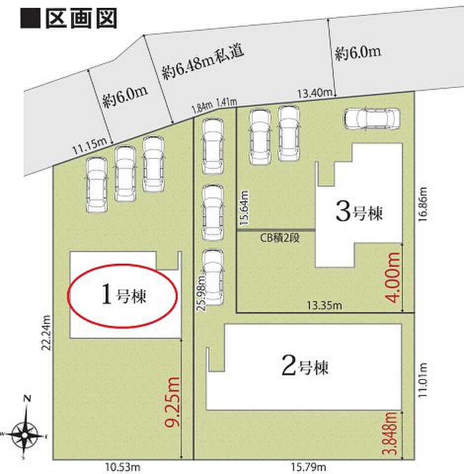
| 建物面積 | 98.53m2 | 土地面積 | 253.87m2 | ||
| その他面積 | - | ||||
| その他施設費用、償却費 | - | ||||
| その他費用 | 【保証金、敷金】:- | ||||
| 登録受付 | - | 抽選日 | - | ||
| モデルルーム情報 | - | ||||
会社情報
| 売主 |
アイディホーム株式会社 【免許番号】 国土交通大臣(1)第10334号 | ||||
|---|---|---|---|---|---|
| お問い合わせ先 |
有限会社ジパング 0037-619-92306(無料通話) 上記の電話番号にお問合せください。(携帯・PHS 可) ※光IP 電話、及びIP 電話からはご利用になれません 光IP電話、及びIP電話をご利用のお客様は以下へご連絡ください。 有限会社ジパング TEL:096-284-1089 【物件番号】1707976-0000080 | ||||
| 会社概要 |
ZIPANGinc. (有)ジパング[国土交通大臣 (1) 第 10188 号] 熊本県熊本市東区昭和町1-30 【所属団体】 (一社)九州不動産公正取引協議会(公社)全日本不動産協会熊本県本部 | ||||
この物件の地図・周辺環境
このアイコンは物件のおおよその位置を表しており、実際の場所と異なる場合がございます。詳しくは不動産会社に直接ご確認ください。
取り扱い不動産会社
有限会社ジパング
- 電話番号
- 096-284-1089
- 物件番号
- 1707976-0000080
ハウススタイル
ハウスドゥ 龍田 タケモトデンキ(株) 不動産事業部
株式会社リアルティストア 熊本支店
テラスエステート熊本本店
テラスエステート熊本中央営業所
テラスエステート熊本本店 (株)アークフロンティア
セントホーム(株)
センチュリー21Next Links KM
ZIPANGinc.(有)ジパング
(株)ここから不動産
テラスエステート熊本中央営業所 (株)アークフロンティア
ハウスドゥ 御幸田迎(株)Remado
電話で問い合わせる(無料)お急ぎの方はこちらから!
物件お問い合わせ専用ダイヤル
受付:- 携帯・PHS可
※携帯・PHS可。光IP電話、及びIP電話からはご利用になれません。
掲載期限まであと5日
肥後大津駅の口コミ
お買い物・飲食
2.0
大津町中心付近に行けば、ある程度の買い物施設、飲食店は揃っている。移動手段があれば困ることは無いと思う。
菊池郡大津町近隣の町域から新築一戸建てを探す
住宅ローンシミュレーション
住宅ローン設定
物件価格
返済期間
頭金
ボーナス払(年1回)
※
※物件価格の80%以下でお借入れの場合
※50歳以下で一般団信をご選択の場合
※住宅ローン金利優遇割適用後の変動金利(全期間引き下げプラン)
※実際のお借入日の金利により変動します。
※審査の結果によっては保証付金利プランとなる場合があり、この場合は上記とは異なる金利となります。
※別途借入金額の2.20%(税込)の事務手数料が発生します。
ボーナス払 | 35年間返済 | 30年間返済 | 25年間返済 | 20年間返済 | 15年間返済 | 10年間返済 |
|---|---|---|---|---|---|---|
0万円 | -円/月 | -円/月 | -円/月 | -円/月 | -円/月 | -円/月 |
5万円 | -円/月 | -円/月 | -円/月 | -円/月 | -円/月 | -円/月 |
10万円 | -円/月 | -円/月 | -円/月 | -円/月 | -円/月 | -円/月 |
15万円 | -円/月 | -円/月 | -円/月 | -円/月 | -円/月 | -円/月 |
20万円 | -円/月 | -円/月 | -円/月 | -円/月 | -円/月 | -円/月 |
25万円 | -円/月 | -円/月 | -円/月 | -円/月 | -円/月 | -円/月 |
30万円 | -円/月 | -円/月 | -円/月 | -円/月 | -円/月 | -円/月 |
ボーナス払 | 35年間返済 | 30年間返済 | 25年間返済 | 20年間返済 | 15年間返済 | 10年間返済 |
|---|---|---|---|---|---|---|
0万円 | -円/月 | -円/月 | -円/月 | -円/月 | -円/月 | -円/月 |
5万円 | -円/月 | -円/月 | -円/月 | -円/月 | -円/月 | -円/月 |
10万円 | -円/月 | -円/月 | -円/月 | -円/月 | -円/月 | -円/月 |
15万円 | -円/月 | -円/月 | -円/月 | -円/月 | -円/月 | -円/月 |
20万円 | -円/月 | -円/月 | -円/月 | -円/月 | -円/月 | -円/月 |
25万円 | -円/月 | -円/月 | -円/月 | -円/月 | -円/月 | -円/月 |
30万円 | -円/月 | -円/月 | -円/月 | -円/月 | -円/月 | -円/月 |
- ・金利は、今後35年間変動しない仮定のもと元利均等返済方式で計算しております。
- ・実際の金利は、各金融機関のホームページをご参照ください。
- ・ローン契約の際には、手数料や印紙税などの諸費用が別途かかります。
- ・ボーナス支払総額が総支払額の50%を超えている場合、上記の表では「ローン不可」となります。
- ・シミュレーションを利用し、それが原因で利用者が受けたいかなる損害についても当社は一切責任を負いません。あらかじめご了承ください。





















