一戸建てグラファーレ 桶川市上日出谷南4期 の詳細情報
11/23更新≪本日見学可≫小学校至近◆商業施設が充実した便利なエリア♪
外観・室内・設備(26枚)

【浄水器内蔵型ハンドシャワー】
蛇口の先端に浄水器を内蔵。浄水シャワーが使える毎分4リットルのたっぷり浄水。自動クリーニングで、カードリッジはいつもキレイ。また、浄水器ごとホースを引き出せるので、キッチン脇のお掃除も楽々♪

ベタ基礎は「鉄筋コンクリート造」
耐震性を発揮する鉄筋入りスラブー体基礎を採用。地面から基礎上端までの高さを400mm以上確保。地面からの湿気を防ぎ、不等沈下や地震時のねじれを防ぐ効果があり、白蟻に対する予防策としても有効です。
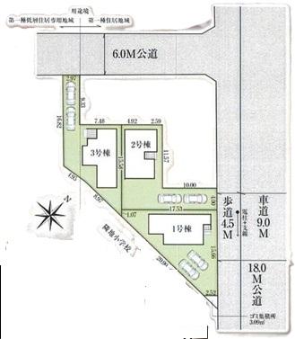
周辺環境・アクセス(9枚)
その他(4枚)
物件概要
| 物件名 | グラファーレ 桶川市上日出谷南4期 | ||||
|---|---|---|---|---|---|
| 所在地 | 埼玉県桶川市上日出谷南3 | ||||
| 交通 |
JR高崎線「桶川」バス15分日出谷小学校前歩2分 JR高崎線「北本」車3.4km JR高崎線「北上尾」車4.8km | ||||
| 構造および階数 | 木造2階建 | 建ぺい率・容積率 | 建ペい率:60%・50%、容積率:200%・100% | ||
| 完成予定日 | 2025年10月 | 入居可能予定日 | 即引渡可 | ||
| 土地権利 | 所有権 | ||||
| 駐車場 | - | 国土法届出 | - | ||
| 地目 | 宅地 | 道路付け | 道路幅:6m~18m、アスファルト舗装、北東側18m公道、北西側6m公道 | ||
| 機構融資 | フラット35Sベーシック | 取引態様 | 仲介 | ||
| 用途地域 | 1種住居、1種低層 | ||||
| 施工会社 | - | ||||
| 建築確認番号 | 第HPA-25-07939-1号他 | ||||
| 設備 | 設計住宅性能評価書 / 建設住宅性能評価書(新築時) / 地盤調査済 / 年内引渡可 / 駐車2台可 / 即引渡可 / 省エネ給湯器 / スーパー 徒歩10分以内 / システムキッチン / 浴室乾燥機 / 陽当り良好 / 全居室収納 / 駅まで平坦 / 閑静な住宅地 / LDK15畳以上 / 前道6m以上 / 和室 / 整形地 / シャワー付洗面化粧台 / 対面式キッチン / ワイドバルコニー / バリアフリー / トイレ2ヶ所 / 浴室1坪以上 / 2階建 / 2面以上バルコニー / 東南向き / オートバス / 温水洗浄便座 / 床下収納 / 浴室に窓 / TVモニタ付インターホン / 節水型トイレ / 通風良好 / 全居室フローリング / ウォークインクローゼット / 全居室複層ガラスか複層サッシ / 都市ガス / シューズインクローク / 全室2面採光 / 小学校 徒歩10分以内 / 平坦地 / 周辺交通量少なめ / 隣家との間隔が大きい / 浄水器 | ||||
| その他制限事項 | 文化財保護法による規制有、景観法による規制有、宅地造成及び特定盛土法規制法 | ||||
| 備考 | 文化財保護法による規制有、景観法による規制有、宅地造成及び特定盛土法規制法 / 担当者:峰村 大地、設備:公営水道、本下水、個別プロパンガス(1・2号棟)、都市ガス(3号棟)、建築確認番号:第HPA-25-07939-1号他 | ||||
情報更新日:2025/11/23 次回更新予定日:情報提供より8日以内
販売概要
| 販売価格 | 2880万円~3399万円 お問い合わせはこちら | ||||
|---|---|---|---|---|---|
| 販売スケジュール | ◆◇◆◇◆◇◆◇◆◇◆◇◆◇◆◇◆◇◆◇◆◇◆ ●○本日、ご見学できます!○● ※今すぐ見たい!もちろん大歓迎です♪ 0120-488-680までお電話ください! ●○キッズコーナーございます○● ●○チャイルドシートご用意有○● ●○無料提携駐車場ございます○● ●○ご自宅まで送迎いたします○● ●○FPによる無料相談会開催○●好評分譲中につき、先着順受付中!ご見学の際は、必ず事前に弊社スタッフまでお問い合わせください。ホームトレードセンター株式会社はCMでお馴染みの飯田グループホールディングス唯一の販売専門会社です。お気軽にお問い合わせ下さい♪各社から集めた≪ 選りすぐりの専門スタッフ ≫が夢のマイホームの本当の選び方、お得な買い方を大切なお客様へご案内致します。◆◇◆◇◆◇◆◇◆◇◆◇◆◇◆◇◆◇◆◇◆◇◆ | ||||
| 販売戸数/総戸数 | 3戸/3戸 | ||||
| 最多価格帯 | - | ||||
| 間取り | 4LDK | ||||
| 建物面積 | 95.23㎡~96.88㎡(28.80坪~29.30坪)(実測) | 土地面積 | 150.92㎡~165.15㎡(45.65坪~49.95坪)(実測) | ||
| その他施設費用、償却費 | - | ||||
| その他費用 | - | ||||
| 登録受付 | - | 抽選日 | - | ||
| モデルルーム情報 | 現地見学会(事前に必ず予約してください)日程/毎週土日祝時間/9:00~18:00◇ご見学希望は≪見学予約(無料)≫ボタンから予約可能です◇当日見学希望の際は、電話ボタン(青色)からお気軽にご連絡下さい♪※平日も見学会を開催しております♪お気軽にお問合せ下さい♪~~~~~◇◆ 現地見学ツアー開催!◆◇~~~~~飯田グループホールディングス唯一の販売会社であるホームトレードセンターの社員が物件のご案内をさせて頂きます。 【内容(所要時間)】① さくっと見学コース (30分~)② じっくり見学コース (60分~)③ 納得見学コース (90分~)④ まずは住宅ローン相談 (20分~)上記①~④の中でお好きな番号をお教え下さい!最寄り駅へのお迎えなど、ご要望に応じて送迎も可能でございます。当日担当をさせていただくスタッフとお打ち合わせいただき、スムーズなご見学ができますよう調整させていただきます♪※ファイナンシャルプランナーによる無料相談も開催中♪毎月のお支払プランや今後のお支払プランなど、複数の提携ローンの中からお客様のご希望に合わせて、不動産のプロご提案をさせていただきます。◇ご見学希望は≪見学予約(無料)≫ボタンから予約可能です◇当日見学希望の際は、電話ボタン(青色)からお気軽にご連絡下さい♪平日やお仕事前・後のご見学もお待ちしております♪飯田グループホールディングス独自の物件管理・検索のシステムを使い、新着情報等、お客様の要望に近い条件の物件をご紹介させていただきます♪豊富な販売実績からお客様にとって最適で安心な住まい探しをご提案させていただきます。お気軽にお問い合わせ下さい♪◇◆◇◆◇◆◇◆◇◆◇◆◇◆◇◆◇◆◇◆◇◆◇◆ | ||||
| 取引条件有効期限 | 2025年12月31日 | ||||
会社情報
| お問い合わせ先 |
飯田グループホールディングス ホームトレードセンター(株)大宮店 0120-188885(無料通話) 上記の電話番号にお問合せください。(携帯・PHS 可) 【物件番号】78325711 | ||||
|---|---|---|---|---|---|
| 会社概要 |
飯田グループホールディングス ホームトレードセンター(株)大宮店[国土交通大臣(3)第008044号] 埼玉県さいたま市大宮区大成町3-495 鳥浅ビル1階 【所属団体】 国土交通大臣(3)第008044号(公社)埼玉県宅地建物取引業協会会員 (公社)首都圏不動産公正取引協議会加盟 | ||||
取り扱い不動産会社
飯田グループホールディングス ホームトレードセンター(株)大宮店
- 電話番号
- 0120-188885
- 受付
- 営業時間:9:00~21:00 / 定休日:水曜日
- 物件番号
- 78325711
桶川駅の口コミ
自然環境
5.0
自然が多く、都会の喧騒とは無縁で、緑地公園や舗装された道が整っており、のびのび生活することができる。
お買い物・飲食
4.0
飲食店はかなり少ないので、ご飯を食べて帰るのは難しい。駅近のところも、早めに閉まってしまう。居酒屋はあるが、女性なら使いづらい
桶川市の駅から新築一戸建てを探す
住宅ローンシミュレーション
住宅ローン設定
物件価格
返済期間
頭金
ボーナス払(年1回)
※
※物件価格の80%以下でお借入れの場合
※50歳以下で一般団信をご選択の場合
※住宅ローン金利優遇割適用後の変動金利(全期間引き下げプラン)
※実際のお借入日の金利により変動します。
※審査の結果によっては保証付金利プランとなる場合があり、この場合は上記とは異なる金利となります。
※別途借入金額の2.20%(税込)の事務手数料が発生します。
ボーナス払 | 35年間返済 | 30年間返済 | 25年間返済 | 20年間返済 | 15年間返済 | 10年間返済 |
|---|---|---|---|---|---|---|
0万円 | -円/月 | -円/月 | -円/月 | -円/月 | -円/月 | -円/月 |
5万円 | -円/月 | -円/月 | -円/月 | -円/月 | -円/月 | -円/月 |
10万円 | -円/月 | -円/月 | -円/月 | -円/月 | -円/月 | -円/月 |
15万円 | -円/月 | -円/月 | -円/月 | -円/月 | -円/月 | -円/月 |
20万円 | -円/月 | -円/月 | -円/月 | -円/月 | -円/月 | -円/月 |
25万円 | -円/月 | -円/月 | -円/月 | -円/月 | -円/月 | -円/月 |
30万円 | -円/月 | -円/月 | -円/月 | -円/月 | -円/月 | -円/月 |
ボーナス払 | 35年間返済 | 30年間返済 | 25年間返済 | 20年間返済 | 15年間返済 | 10年間返済 |
|---|---|---|---|---|---|---|
0万円 | -円/月 | -円/月 | -円/月 | -円/月 | -円/月 | -円/月 |
5万円 | -円/月 | -円/月 | -円/月 | -円/月 | -円/月 | -円/月 |
10万円 | -円/月 | -円/月 | -円/月 | -円/月 | -円/月 | -円/月 |
15万円 | -円/月 | -円/月 | -円/月 | -円/月 | -円/月 | -円/月 |
20万円 | -円/月 | -円/月 | -円/月 | -円/月 | -円/月 | -円/月 |
25万円 | -円/月 | -円/月 | -円/月 | -円/月 | -円/月 | -円/月 |
30万円 | -円/月 | -円/月 | -円/月 | -円/月 | -円/月 | -円/月 |
- ・金利は、今後35年間変動しない仮定のもと元利均等返済方式で計算しております。
- ・実際の金利は、各金融機関のホームページをご参照ください。
- ・ローン契約の際には、手数料や印紙税などの諸費用が別途かかります。
- ・ボーナス支払総額が総支払額の50%を超えている場合、上記の表では「ローン不可」となります。
- ・シミュレーションを利用し、それが原因で利用者が受けたいかなる損害についても当社は一切責任を負いません。あらかじめご了承ください。
※価格は物件の代金総額を表示しており、消費税が課税される場合は税込み価格です。 (1000円未満は切り上げ。)
※写真に写っている、またはパース(絵)や間取り図に描かれている家具や車などは、特にコメントがない場合、販売価格に含まれません。
※敷地権利が定期借地権のものは価格に権利金を含みます。
※建築条件付き土地価格には、建物価格は含まれません。
※物件情報は、原則として情報提供日の2日前に最終確認した情報です。
※完成予想図はいずれも外構、植栽、外観等実際のものとは多少異なることがあります。
※モデルルーム・モデルハウス・展示場・ショールームの画像の場合、今回販売の物件と異なる場合があります。
※CG合成の画像の場合、実際とは多少異なる場合があります。
※物件特徴:販売戸数が複数の物件は、全ての住戸に該当しない項目もあります。
※0800で始まる電話番号は通話料無料です。また、サービス検証のため当該番号の利用履歴を個人が特定できない範囲で取得しています。予めご了承ください。
※完成後1年以上を経過した未入居物件が掲載される場合があります。ご了承ください。
※新着:物件情報が「SUUMO」に掲載された日から1週間表示されます。
※価格更新:物件価格が変更された日から1週間表示されます。
※販売予定物件はすべて、販売開始するまで契約または予約の申込みはできません。
※購入の前には物件内容や契約条件についてご自身で十分な確認をしていただくようにお願いいたします。
※建築条件土地の情報内に掲載されている、建物プラン例は、土地購入者の設計プランの参考の一例であって、プランの採用可否は任意です。
※土地(建築条件なし)で「建物プラン例」が表記してある時、そのプラン例は特定の建築請負会社によるもので、当該建築請負会社以外で建てた場合、同様のものが同価格で建てられるとは限りません。また建築請負会社を特定するものではありません。
※建築条件付き土地とは、その土地に建築する建物の建築請負契約が、一定期間内に成立することを条件として売買される土地のことをいいます。建築請負契約成立に向けて設計プランを協議するため、土地購入者が自己の希望する建物の設計協議をするために必要な相当の期間の交渉期間が設定され、その期間内で希望を満たすプランが実現できたかどうかにより結論を出します。なお、この期間は概ね3ヶ月程度とされています。納得のいくプランが出来ず、建築請負契約が成立しない場合、土地売買契約は白紙に戻り、土地契約にかかった代金(土地代金、手付金など)は名目のいかんに関わらず、全て返却されます。









































