売地福島県郡山市開成2丁目の売地の詳細情報
外観・設備(1枚)
物件概要
| 物件名 | 福島県郡山市開成2丁目の売地 | ||||
|---|---|---|---|---|---|
| 所在地 | 福島県郡山市開成2丁目 | ||||
| 交通 |
JR東北本線 「郡山」駅 徒歩42分 | ||||
| 最多価格帯 | - | 販売区画数/総区画数 | -/- | ||
| 土地権利 | 所有権 | 造成工事完了予定年月 | - | ||
| 取引態様 | 媒介 | 引渡し | 相談 | ||
| 現況 | 更地 | 地目 | 宅地 | ||
| 地勢 | 平坦 | 都市計画 | 市街化区域 | ||
| 用途地域 | 1種住居 | 建ぺい率 | 60.00% | ||
| 容積率 | 160.00% | 国土法届出 | - | ||
| 私道負担・道路 | - | セットバック | セットバック済 | ||
| 接道状況 | 東 4.0m 公道 接面3.0m | ||||
| その他費用 | - | ||||
| 建築条件 | 建築条件付建築条件付き土地とは、一定期間内(一般的には3ヶ月以上)に特定の建設会社と建築請負契約を結ぶことを条件にしている宅地のことです。建物の内容は、土地購入者の自由意思により決定可能で、土地売買契約後、建築請負会社と購入した土地に建設する建物について協議することになります。期間内に建築請負契約が成立しなければ売買契約は白紙となり、支払済みの金銭はすべて返却されます。 | ||||
| その他制限事項 | - | ||||
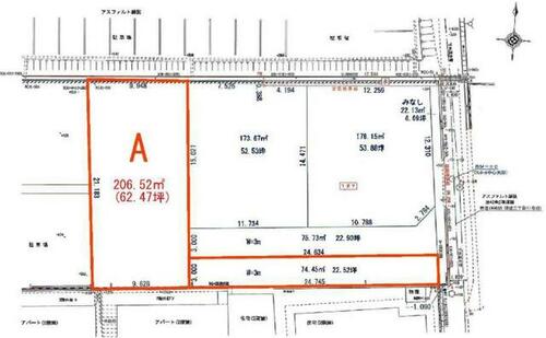
| 備考 | 隣接地との協定通路部分(74.45㎡)あります。・セットバック:済・私道負担:なし・建築条件付きの売地です!建物の相談もお気軽に♪ | ||||
情報公開日:2025/10/30 次回更新予定日:情報更新日より14日以内
この物件の地図・周辺環境
このアイコンは物件のおおよその位置を表しており、実際の場所と異なる場合がございます。詳しくは不動産会社に直接ご確認ください。
取り扱い不動産会社
- 住所
- 福島県郡山市香久池2丁目6番1号
- 電話番号
- 024-954-7818
- 営業時間
- 10:00~17:00(ご希望のお時間に合わせてご対応致します。)
- 定休日
- 日曜日・祝日・年末年始、GW、夏季休暇
- 免許番号
- 福島県知事免許(1)第3657号
- 所属団体
- (公社)福島県宅地建物取引業協会、東北地区不動産公正取引協議会
掲載期限まであと2日
郡山駅の口コミ
自然環境
4.0
福島県は自然も多くて野菜も果物も美味しいので住みやすいと思います。福島市は県庁もありますし人口も多い方です。
治安・安全
5.0
周辺は文教地区的な環境ですので、子供の安全などが考えられた地域なのではないでしょうか。とくに治安面で気になることはありません。
住宅ローンシミュレーション
住宅ローン設定
物件価格
返済期間
頭金
ボーナス払(年1回)
※
※物件価格の80%以下でお借入れの場合
※50歳以下で一般団信をご選択の場合
※住宅ローン金利優遇割適用後の変動金利(全期間引き下げプラン)
※実際のお借入日の金利により変動します。
※審査の結果によっては保証付金利プランとなる場合があり、この場合は上記とは異なる金利となります。
※別途借入金額の2.20%(税込)の事務手数料が発生します。
ボーナス払 | 35年間返済 | 30年間返済 | 25年間返済 | 20年間返済 | 15年間返済 | 10年間返済 |
|---|---|---|---|---|---|---|
0万円 | -円/月 | -円/月 | -円/月 | -円/月 | -円/月 | -円/月 |
5万円 | -円/月 | -円/月 | -円/月 | -円/月 | -円/月 | -円/月 |
10万円 | -円/月 | -円/月 | -円/月 | -円/月 | -円/月 | -円/月 |
15万円 | -円/月 | -円/月 | -円/月 | -円/月 | -円/月 | -円/月 |
20万円 | -円/月 | -円/月 | -円/月 | -円/月 | -円/月 | -円/月 |
25万円 | -円/月 | -円/月 | -円/月 | -円/月 | -円/月 | -円/月 |
30万円 | -円/月 | -円/月 | -円/月 | -円/月 | -円/月 | -円/月 |
ボーナス払 | 35年間返済 | 30年間返済 | 25年間返済 | 20年間返済 | 15年間返済 | 10年間返済 |
|---|---|---|---|---|---|---|
0万円 | -円/月 | -円/月 | -円/月 | -円/月 | -円/月 | -円/月 |
5万円 | -円/月 | -円/月 | -円/月 | -円/月 | -円/月 | -円/月 |
10万円 | -円/月 | -円/月 | -円/月 | -円/月 | -円/月 | -円/月 |
15万円 | -円/月 | -円/月 | -円/月 | -円/月 | -円/月 | -円/月 |
20万円 | -円/月 | -円/月 | -円/月 | -円/月 | -円/月 | -円/月 |
25万円 | -円/月 | -円/月 | -円/月 | -円/月 | -円/月 | -円/月 |
30万円 | -円/月 | -円/月 | -円/月 | -円/月 | -円/月 | -円/月 |
- ・金利は、今後35年間変動しない仮定のもと元利均等返済方式で計算しております。
- ・実際の金利は、各金融機関のホームページをご参照ください。
- ・ローン契約の際には、手数料や印紙税などの諸費用が別途かかります。
- ・ボーナス支払総額が総支払額の50%を超えている場合、上記の表では「ローン不可」となります。
- ・シミュレーションを利用し、それが原因で利用者が受けたいかなる損害についても当社は一切責任を負いません。あらかじめご了承ください。













