売地兵庫県明石市大久保町江井島の売地の詳細情報
掲載期限まであと13日
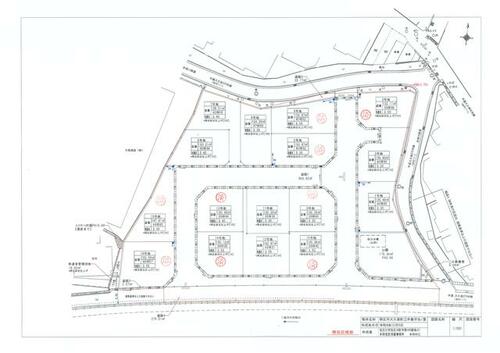
外観・設備(1枚)
物件概要
| 物件名 | 兵庫県明石市大久保町江井島の売地 | ||||
|---|---|---|---|---|---|
| 所在地 | 兵庫県明石市大久保町江井島 | ||||
| 交通 |
山陽電鉄本線 「江井ヶ島」駅 徒歩10分 山陽電鉄本線 「西江井ヶ島」駅 徒歩13分 | ||||
| 最多価格帯 | - | 販売区画数/総区画数 | -/- | ||
| 土地権利 | 所有権 | 造成工事完了予定年月 | - | ||
| 取引態様 | 一般媒介 | 引渡し | 相談 | ||
| 現況 | 更地 | 地目 | 宅地 | ||
| 地勢 | 平坦 | 都市計画 | 市街化区域 | ||
| 用途地域 | 1種住居 | 建ぺい率 | 60.00% | ||
| 容積率 | 200.00% | 国土法届出 | - | ||
| 私道負担・道路 | - | セットバック | - | ||
| 接道状況 | - | ||||
| その他費用 | - | ||||
| 建築条件 | - | ||||
| その他制限事項 | - | ||||
| 備考 | 山陽電車江井島駅徒歩10分の立地に大久保町江井島分譲地全16区画誕生! 価格:1590万円~2050万円 面積:124.29㎡~142.87㎡ 学校区:明石市立江井島幼稚園(徒歩4分)・江井島小学校(徒歩7分)江井島中学校(徒歩12分) 閑静な住宅街!・他交通手段:山陽電鉄本線西江井ヶ島駅バス10分江井島小学校停歩7分・永住の地にふさわしい閑静な住宅街。子育てにやさしい潤いのある住環境でマイホームの夢を実現できます。明るく開放感のある分譲地を、是非ご家族皆様でご見学ください。 / 条件等:更地渡し | ||||
情報公開日:2025/11/22 次回更新予定日:情報更新日より14日以内
この物件の地図・周辺環境
このアイコンは物件のおおよその位置を表しており、実際の場所と異なる場合がございます。詳しくは不動産会社に直接ご確認ください。
取り扱い不動産会社
- 住所
- 兵庫県明石市小久保2丁目1-6
- 電話番号
- 078-924-5770
- 営業時間
- 09:30~18:30
- 定休日
- 毎水曜日、第2火曜日・年末年始、夏季休暇
- 免許番号
- 兵庫県知事免許(7)第400848号
- 所属団体
- (一社)兵庫県宅地建物取引業協会、(公社)近畿地区不動産公正取引協議会
掲載期限まであと13日
江井ヶ島駅の口コミ
治安・安全
4.0
徒歩で夜遅くに江井ヶ島駅から帰宅する場合は、人が少ないのでやや寂しいかも知れません。 平日より休日の夜間の方が出歩く人が少ない印象でした。
住宅ローンシミュレーション
住宅ローン設定
物件価格
返済期間
頭金
ボーナス払(年1回)
※
※物件価格の80%以下でお借入れの場合
※50歳以下で一般団信をご選択の場合
※住宅ローン金利優遇割適用後の変動金利(全期間引き下げプラン)
※実際のお借入日の金利により変動します。
※審査の結果によっては保証付金利プランとなる場合があり、この場合は上記とは異なる金利となります。
※別途借入金額の2.20%(税込)の事務手数料が発生します。
ボーナス払 | 35年間返済 | 30年間返済 | 25年間返済 | 20年間返済 | 15年間返済 | 10年間返済 |
|---|---|---|---|---|---|---|
0万円 | -円/月 | -円/月 | -円/月 | -円/月 | -円/月 | -円/月 |
5万円 | -円/月 | -円/月 | -円/月 | -円/月 | -円/月 | -円/月 |
10万円 | -円/月 | -円/月 | -円/月 | -円/月 | -円/月 | -円/月 |
15万円 | -円/月 | -円/月 | -円/月 | -円/月 | -円/月 | -円/月 |
20万円 | -円/月 | -円/月 | -円/月 | -円/月 | -円/月 | -円/月 |
25万円 | -円/月 | -円/月 | -円/月 | -円/月 | -円/月 | -円/月 |
30万円 | -円/月 | -円/月 | -円/月 | -円/月 | -円/月 | -円/月 |
ボーナス払 | 35年間返済 | 30年間返済 | 25年間返済 | 20年間返済 | 15年間返済 | 10年間返済 |
|---|---|---|---|---|---|---|
0万円 | -円/月 | -円/月 | -円/月 | -円/月 | -円/月 | -円/月 |
5万円 | -円/月 | -円/月 | -円/月 | -円/月 | -円/月 | -円/月 |
10万円 | -円/月 | -円/月 | -円/月 | -円/月 | -円/月 | -円/月 |
15万円 | -円/月 | -円/月 | -円/月 | -円/月 | -円/月 | -円/月 |
20万円 | -円/月 | -円/月 | -円/月 | -円/月 | -円/月 | -円/月 |
25万円 | -円/月 | -円/月 | -円/月 | -円/月 | -円/月 | -円/月 |
30万円 | -円/月 | -円/月 | -円/月 | -円/月 | -円/月 | -円/月 |
- ・金利は、今後35年間変動しない仮定のもと元利均等返済方式で計算しております。
- ・実際の金利は、各金融機関のホームページをご参照ください。
- ・ローン契約の際には、手数料や印紙税などの諸費用が別途かかります。
- ・ボーナス支払総額が総支払額の50%を超えている場合、上記の表では「ローン不可」となります。
- ・シミュレーションを利用し、それが原因で利用者が受けたいかなる損害についても当社は一切責任を負いません。あらかじめご了承ください。












