NEW売地宮城県名取市増田1丁目の売地の詳細情報
掲載期限まであと12日
外観・設備(1枚)
物件概要
| 物件名 | 宮城県名取市増田1丁目の売地 | ||||
|---|---|---|---|---|---|
| 所在地 | 宮城県名取市増田1丁目 | ||||
| 交通 |
仙台空港鉄道 「杜せきのした」駅 徒歩9分 JR東北本線 「名取」駅 徒歩18分 | ||||
| 最多価格帯 | - | 販売区画数/総区画数 | -/- | ||
| 土地権利 | 所有権 | 造成工事完了予定年月 | - | ||
| 取引態様 | 一般媒介 | 引渡し | 即時 | ||
| 現況 | その他 | 地目 | 宅地 | ||
| 地勢 | - | 都市計画 | 市街化区域 | ||
| 用途地域 | 準工業 | 建ぺい率 | 60.00% | ||
| 容積率 | 200.00% | 国土法届出 | - | ||
| 私道負担・道路 | - | セットバック | - | ||
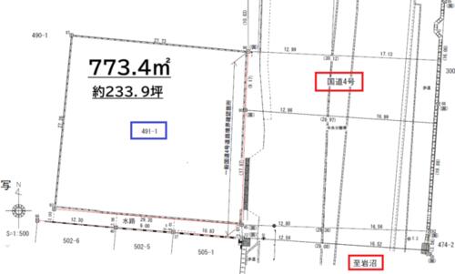
| 接道状況 | 東 30.0m 接面27.0m | ||||
| その他費用 | - | ||||
| 建築条件 | - | ||||
| その他制限事項 | - | ||||
| 備考 | 国道沿いで店舗・事務所に最適なポジション。 / 条件等:更地渡し | ||||
情報公開日:2025/12/02 次回更新予定日:情報更新日より14日以内
この物件の地図・周辺環境
このアイコンは物件のおおよその位置を表しており、実際の場所と異なる場合がございます。詳しくは不動産会社に直接ご確認ください。
取り扱い不動産会社
- 住所
- 宮城県仙台市青葉区一番町1丁目13-16
- 電話番号
- 022-227-8468
- 営業時間
- 10:00~19:00
- 定休日
- 水曜日
- 免許番号
- 宮城県知事免許(7)第4238号
- 所属団体
- (公社)宮城県宅地建物取引業協会、東北地区不動産公正取引協議会
掲載期限まであと12日
杜せきのした駅の口コミ
お買い物・飲食
3.0
周辺の飲食店はイオンモール以外だと少ないのかなと感じました。少しあるくと何件か連なってるところもありますが、ふらっといけるところがあまりないかなと思いました…個人経営のパン屋さんやケーキ屋さん飲食店があれば嬉しかったなと、、
治安・安全
4.0
名取は田舎ですが、治安・安全で住みやすい街のひとつだと思います。ただ街灯はおせじにも多いとはいえず、夜は暗いです。
住宅ローンシミュレーション
住宅ローン設定
物件価格
返済期間
頭金
ボーナス払(年1回)
※
※物件価格の80%以下でお借入れの場合
※50歳以下で一般団信をご選択の場合
※住宅ローン金利優遇割適用後の変動金利(全期間引き下げプラン)
※実際のお借入日の金利により変動します。
※審査の結果によっては保証付金利プランとなる場合があり、この場合は上記とは異なる金利となります。
※別途借入金額の2.20%(税込)の事務手数料が発生します。
ボーナス払 | 35年間返済 | 30年間返済 | 25年間返済 | 20年間返済 | 15年間返済 | 10年間返済 |
|---|---|---|---|---|---|---|
0万円 | -円/月 | -円/月 | -円/月 | -円/月 | -円/月 | -円/月 |
5万円 | -円/月 | -円/月 | -円/月 | -円/月 | -円/月 | -円/月 |
10万円 | -円/月 | -円/月 | -円/月 | -円/月 | -円/月 | -円/月 |
15万円 | -円/月 | -円/月 | -円/月 | -円/月 | -円/月 | -円/月 |
20万円 | -円/月 | -円/月 | -円/月 | -円/月 | -円/月 | -円/月 |
25万円 | -円/月 | -円/月 | -円/月 | -円/月 | -円/月 | -円/月 |
30万円 | -円/月 | -円/月 | -円/月 | -円/月 | -円/月 | -円/月 |
ボーナス払 | 35年間返済 | 30年間返済 | 25年間返済 | 20年間返済 | 15年間返済 | 10年間返済 |
|---|---|---|---|---|---|---|
0万円 | -円/月 | -円/月 | -円/月 | -円/月 | -円/月 | -円/月 |
5万円 | -円/月 | -円/月 | -円/月 | -円/月 | -円/月 | -円/月 |
10万円 | -円/月 | -円/月 | -円/月 | -円/月 | -円/月 | -円/月 |
15万円 | -円/月 | -円/月 | -円/月 | -円/月 | -円/月 | -円/月 |
20万円 | -円/月 | -円/月 | -円/月 | -円/月 | -円/月 | -円/月 |
25万円 | -円/月 | -円/月 | -円/月 | -円/月 | -円/月 | -円/月 |
30万円 | -円/月 | -円/月 | -円/月 | -円/月 | -円/月 | -円/月 |
- ・金利は、今後35年間変動しない仮定のもと元利均等返済方式で計算しております。
- ・実際の金利は、各金融機関のホームページをご参照ください。
- ・ローン契約の際には、手数料や印紙税などの諸費用が別途かかります。
- ・ボーナス支払総額が総支払額の50%を超えている場合、上記の表では「ローン不可」となります。
- ・シミュレーションを利用し、それが原因で利用者が受けたいかなる損害についても当社は一切責任を負いません。あらかじめご了承ください。


