土地ZERO-CUBE MINI建物プラン有!残り3号地1区画のみ!の詳細情報
ZERO-CUBE MINI建物プラン有!残り3号地1区画のみ!
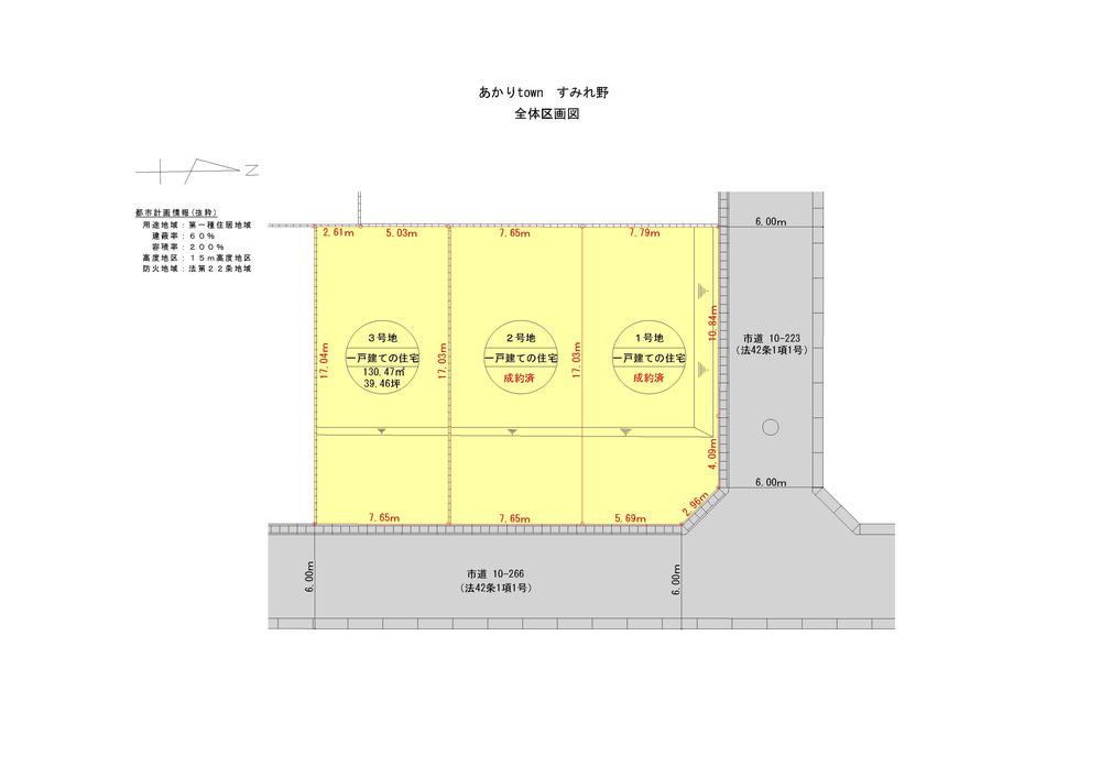
間取り・区画図(2枚)
周辺環境・アクセス(9枚)
その他(20枚)

建物プラン例(内観写真)
◆INNNER GARAGE+FUNでINNNERGARAGEを追加可能。趣味を置けるスペースです。建物プラン例【規格住宅】ZERO-CUBE MINI+INNNERGARAGE建物価格1815万円建物面積74.52m2

建物プラン例(内観写真)
◆リビングシンプルな造りながら光をたっぷり取り込むリビング。小さくても広がりを感じられる空間です。建物プラン例【規格住宅】ZERO-CUBE MINI建物価格1375万円建物面積74.52m2

建物プラン例(外観写真)
◆外観写真ZERO-CUBEスタンダードの雰囲気をそのままに、必要な要素を無駄なくまとめた心地よい住まいです。建物プラン例【規格住宅】ZERO-CUBE MINI建物価格1375万円建物面積74.52m2

建物プラン例(内観写真)
◆SKYBALCONY+FUNでSKYBALCONYも可能。青空の下でくつろげる開放的な空間です。建物プラン例【規格住宅】ZERO-CUBE MINI+SKYBALCONY建物価格1595万円建物面積74.52m2

建物プラン例(内観写真)
◆リビング家族で過ごす時間を大切にできるコンパクトリビング。温かみのある落ち着いた空間です。建物プラン例【規格住宅】ZERO-CUBE MINI建物価格1375万円建物面積74.52m2

その他建物プラン例
自社ブランド【アーバンスタイル】都会的で洗練されたイメージのインテリアスタイルやファッションのことです。シンプルで高級感のあるデザイン、モノトーンカラーやクールな色使い、直線的なデザインです。

その他建物プラン例
【玄関雰囲気】【アーバンスタイル】都会的で洗練されたイメージのインテリアスタイルやファッションのことです。シンプルで高級感のあるデザイン、モノトーンカラーやクールな色使い、直線的なデザインです。

その他建物プラン例
【上から】【アーバンスタイル】都会的で洗練されたイメージのインテリアスタイルやファッションのことです。シンプルで高級感のあるデザイン、モノトーンカラーやクールな色使い、直線的なデザインです。

その他建物プラン例
【内装雰囲気】【アーバンスタイル】都会的で洗練されたイメージのインテリアスタイルやファッションのことです。シンプルで高級感のあるデザイン、モノトーンカラーやクールな色使い、直線的なデザインです。
物件概要
| 物件名 | ZERO-CUBE MINI建物プラン有!残り3号地1区画のみ! | ||||
|---|---|---|---|---|---|
| 所在地 | 奈良県香芝市すみれ野1-4-9 | ||||
| 交通 |
近鉄大阪線「五位堂」歩14分 JR和歌山線「香芝」歩11分 近鉄大阪線「近鉄下田」歩13分 | ||||
| 最多価格帯 | - | 販売区画数/総区画数 | 2区画/5区画 | ||
| 土地権利 | 所有権 | 造成工事完了予定年月 | - | ||
| 取引態様 | 売主 | 引渡し | 即引渡し可 | ||
| 地目 | 宅地 | 用途地域 | 1種住居 | ||
| 建ぺい率・容積率 | 建ペい率:60%、容積率:200% | 私道負担・道路 | 道路幅:6m、アスファルト舗装 | ||
| セットバック | - | ||||
| その他費用 | - | ||||
| 建築条件 | 建築条件付建築条件付き土地とは、一定期間内(一般的には3ヶ月以上)に特定の建設会社と建築請負契約を結ぶことを条件にしている宅地のことです。建物の内容は、土地購入者の自由意思により決定可能で、土地売買契約後、建築請負会社と購入した土地に建設する建物について協議することになります。期間内に建築請負契約が成立しなければ売買契約は白紙となり、支払済みの金銭はすべて返却されます。 | ||||
| 販売スケジュール | - | ||||
| イベント情報 |
モデルハウス(事前に必ずお問い合わせください) 日程/公開中 時間/9:30~18:00 モデルハウスを実際に見て触れて、体感してみて下さい! 「建築家とみんなで創るカフェスタイルの家」 「建築家とみんなで創る注文住宅の家」モデルハウスございます。 ライフスタイルに合わせて間取りを打ち合わせしながら、 内装の仕様、家の性能、光熱費の話、資金計画など お客様ごとの悩みや状況に合わせて、一つひとつ丁寧にお答えします。 ≪性能の高さに自信あり!!≫ ◆家の性能/標準で長期優良住宅 ◆基礎/べた基礎 ◆工法/木造軸組工法 白アリに強く腐らない木を使用 ◆断熱等級5【ZEH基準】 吹付断熱工法 ◆耐震等級3、耐風等級2(許容応力計算) ◆第三者機関を入れ、基礎配筋~工事完了までの重要な工程で5回検査を実施。 ◆お引渡後、1年5年10年の3回は無料で定期点検を実施しています。 ◆20年の地盤保証・20年建物初期保証 ○●○だいたいこれぐらいの時間で○●○ ・現地、モデルハウスご見学 (約30分~) ・ご来店、お家探しのご相談 (約40分~) ・資金計画、ローンのご相談 (約30分~) ◆ルーフホームの家造りについて◆ ルーフホームでは、常時数十区画の分譲地を販売しております。 また土地と建物をトータルで予算に合わせて打ち合わせしていきますのでご安心ください。 設計から施工、現場監督まで自社スタッフで手がける自社施工の会社です。 当社と直接契約を結んだ各分野の職人が施工する為、打ち合わせから工事がスムーズにやり取り可能。 【お問い合わせについて】 ■オレンジの「資料請求(無料)」や赤の「見学予約(無料)」ボタンをクリック!! 通話料金無料【0120-624-615】からでもお問合せ可能です。 | ||||
| その他制限事項 | 文化財保護法による規制有、宅地造成工事規制区域、高度地区 | ||||
| 備考 | 担当者:小山 大介、設備:公営水道、本下水、都市ガス | ||||
| 取引条件有効期限 | 2030年8月1日 | ||||
情報公開日:2025/12/15 次回更新予定日:情報提供より8日以内
取り扱い不動産会社
- 住所
- 奈良県香芝市旭ケ丘1-19-1
- 電話番号
- 0120-624615
- 営業時間
- 営業時間:9:00~20:00 / 定休日:水曜日
- 免許番号
- 奈良県知事(4)第003990号
- 会社概要
- <売主>
奈良県知事(4)第003990号
(公社)全日本不動産協会奈良県本部会員 (公社)近畿地区不動産公正取引協議会加盟
(株)ルーフホーム
〒639-0266 奈良県香芝市旭ケ丘1-19-1
五位堂駅の口コミ
治安・安全
2.0
外がかなり暗いです、また車との距離もかなり近いので事故等起こりかねないです 子供さんが歩く際もかなり気を使うかと思います
子育て・病院
4.0
香芝周辺は開発が進められて新しい病院がたくさんたってきている。有名な産婦人科がひとつなくなってしまったことは大変残念ですが、車があれば病院や子育てには困らないかな。
住宅ローンシミュレーション
住宅ローン設定
物件価格
返済期間
頭金
ボーナス払(年1回)
※
※物件価格の80%以下でお借入れの場合
※50歳以下で一般団信をご選択の場合
※住宅ローン金利優遇割適用後の変動金利(全期間引き下げプラン)
※実際のお借入日の金利により変動します。
※審査の結果によっては保証付金利プランとなる場合があり、この場合は上記とは異なる金利となります。
※別途借入金額の2.20%(税込)の事務手数料が発生します。
ボーナス払 | 35年間返済 | 30年間返済 | 25年間返済 | 20年間返済 | 15年間返済 | 10年間返済 |
|---|---|---|---|---|---|---|
0万円 | -円/月 | -円/月 | -円/月 | -円/月 | -円/月 | -円/月 |
5万円 | -円/月 | -円/月 | -円/月 | -円/月 | -円/月 | -円/月 |
10万円 | -円/月 | -円/月 | -円/月 | -円/月 | -円/月 | -円/月 |
15万円 | -円/月 | -円/月 | -円/月 | -円/月 | -円/月 | -円/月 |
20万円 | -円/月 | -円/月 | -円/月 | -円/月 | -円/月 | -円/月 |
25万円 | -円/月 | -円/月 | -円/月 | -円/月 | -円/月 | -円/月 |
30万円 | -円/月 | -円/月 | -円/月 | -円/月 | -円/月 | -円/月 |
ボーナス払 | 35年間返済 | 30年間返済 | 25年間返済 | 20年間返済 | 15年間返済 | 10年間返済 |
|---|---|---|---|---|---|---|
0万円 | -円/月 | -円/月 | -円/月 | -円/月 | -円/月 | -円/月 |
5万円 | -円/月 | -円/月 | -円/月 | -円/月 | -円/月 | -円/月 |
10万円 | -円/月 | -円/月 | -円/月 | -円/月 | -円/月 | -円/月 |
15万円 | -円/月 | -円/月 | -円/月 | -円/月 | -円/月 | -円/月 |
20万円 | -円/月 | -円/月 | -円/月 | -円/月 | -円/月 | -円/月 |
25万円 | -円/月 | -円/月 | -円/月 | -円/月 | -円/月 | -円/月 |
30万円 | -円/月 | -円/月 | -円/月 | -円/月 | -円/月 | -円/月 |
- ・金利は、今後35年間変動しない仮定のもと元利均等返済方式で計算しております。
- ・実際の金利は、各金融機関のホームページをご参照ください。
- ・ローン契約の際には、手数料や印紙税などの諸費用が別途かかります。
- ・ボーナス支払総額が総支払額の50%を超えている場合、上記の表では「ローン不可」となります。
- ・シミュレーションを利用し、それが原因で利用者が受けたいかなる損害についても当社は一切責任を負いません。あらかじめご了承ください。
















