NEW土地飯能市岩沢売地 建築条件無しの詳細情報
周辺環境・アクセス(9枚)
物件概要
| 物件名 | 飯能市岩沢売地 建築条件無し | ||||
|---|---|---|---|---|---|
| 所在地 | 埼玉県飯能市大字岩沢 | ||||
| 交通 |
西武池袋線 元加治駅 徒歩5分 西武池袋線 仏子駅 徒歩25分 | ||||
| 総区画数 | 1区画 | 土地権利 | 所有権 | ||
| 造成工事完了予定年月 | - | 取引態様 | 仲介 | ||
| 引渡し | 相談 | 現況 | 更地 | ||
| 地目 | 畑 | 地勢 | 平坦 | ||
| 都市計画 | 市街化区域 | 用途地域 | 第一種中高層住居専用地域 | ||
| 建ぺい率 | 60% | 容積率 | 200% | ||
| 国土法届出 | 不要 | 私道負担・道路 | - | ||
| セットバック | - | 接道状況 | 角地 ( 南 6m 公道 ) ( 北 4m 公道 ) | ||
| その他費用 | - | ||||
| 建築条件 | - | ||||
| 見学会 | 2025年12月14日~2026年06月15日 開催時刻はお問い合わせください。 現地案内会(事前に必ずお問い合わせください)物件が居住中の場合には、事前予約・日程調整が必要となります日程/公開中時間/10:00~17:00アクション 事前に必ず予約して下さい。 | ||||
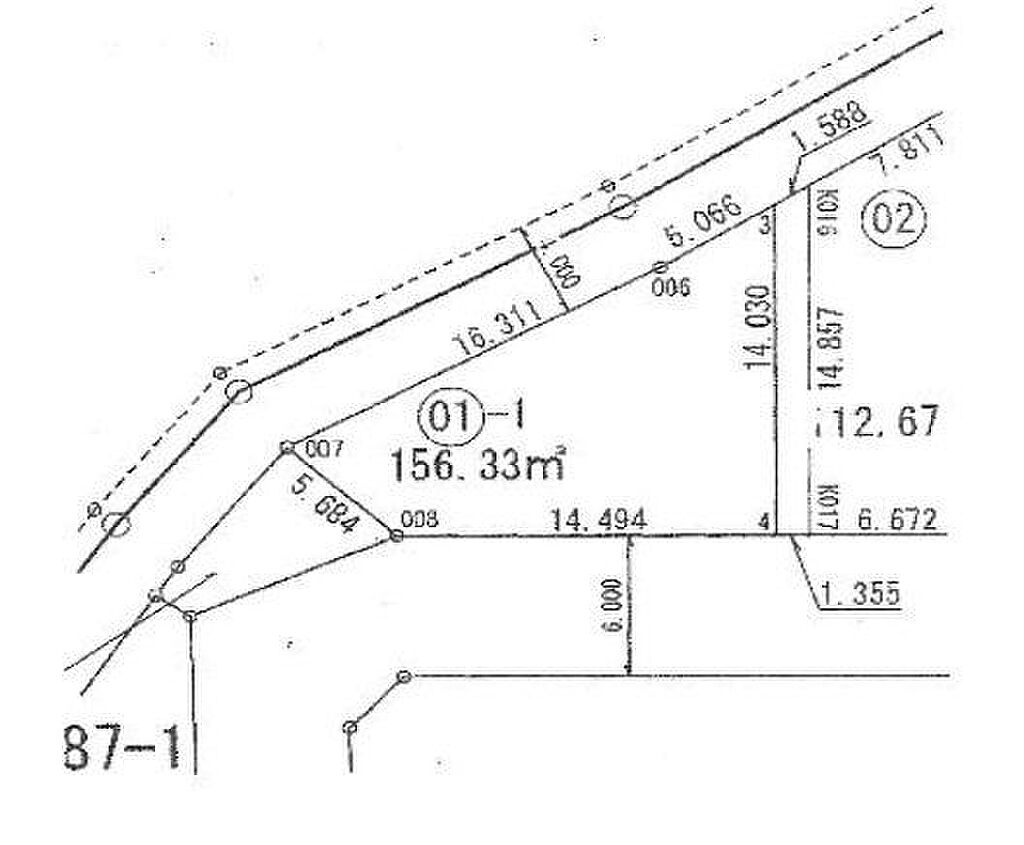
| 備考 | ii8471 地積:156m2本日~5日以内でご見学をご希望の方は、希望日時をご連絡ください。営業時間9:00~19:00はお電話でのお問い合わせがスムーズです。尚、インターネットでも見学の予約が可能です。 角地で陽当たり良好!西武池袋線【元加治駅】徒歩約6分!西武池袋線は東京メトロ有楽町線・副都心線に乗り入れされ首都圏へのアクセスが大変便利です。 景観法 | ||||
情報公開日:2025/12/13 有効期限:2025/12/23
設備・条件
| 位置 | 南道路、角地 | ||||
|---|---|---|---|---|---|
| 設備・サービス | プロパンガス、公営水道 | ||||
| その他 | 所有権、建築条件なし、見学可能、更地、平坦地、子育てに便利な施設が充実、前面道路6m以上 | ||||
| 周辺環境 | 小学校 800m以内 | ||||
取り扱い不動産会社
- 住所
- 埼玉県入間市豊岡1丁目4-30 キャッスルマンション入間駅前1F
- 電話番号
- 0120-944-230
- 営業時間
- 09:00~19:00(年末年始・お盆休み以外年中無休)
- 定休日
- 年末年始・お盆休み
- 免許番号
- 埼玉県知事免許(12)第008534号
- 所属団体
- (公財)東日本不動産流通機構、(公社)首都圏不動産公正取引協議会、(公社)埼玉県宅地建物取引業協会
電話で問い合わせる(無料)お急ぎの方はこちらから!
物件お問い合わせ専用ダイヤル
営業時間:09:00~19:00(年末年始・お盆休み以外年中無休)(定休日:年末年始・お盆休み) 携帯・PHS可
音声案内に従って以下の数字を入力
お問い合わせ番号:03377-1052
LIFULL HOME'S物件番号:B02310-001759
※お客様の電話番号は不動産会社に通知されません。
※光IP電話、及びIP電話からはご利用になれません。
※不動産会社の方からの上記電話番号によるお問合せはお断りしております。
掲載期限まであと6日
元加治駅の口コミ
お買い物・飲食
2.0
当時は駅前のコンビニ、居酒屋、小さな八百屋くらいしかなかったので食料品、日用品は車で仏子まで買い出しに行っていた。
お買い物・飲食
2.0
駅近くにある焼き鳥屋さんが美味しくて良く行っていた。商店がなく不便ではあったが、その代わり静かな環境で落ち着いて過ごせた。
埼玉県近隣の都道府県から土地を探す
住宅ローンシミュレーション
住宅ローン設定
物件価格
返済期間
頭金
ボーナス払(年1回)
※
※物件価格の80%以下でお借入れの場合
※50歳以下で一般団信をご選択の場合
※住宅ローン金利優遇割適用後の変動金利(全期間引き下げプラン)
※実際のお借入日の金利により変動します。
※審査の結果によっては保証付金利プランとなる場合があり、この場合は上記とは異なる金利となります。
※別途借入金額の2.20%(税込)の事務手数料が発生します。
ボーナス払 | 35年間返済 | 30年間返済 | 25年間返済 | 20年間返済 | 15年間返済 | 10年間返済 |
|---|---|---|---|---|---|---|
0万円 | -円/月 | -円/月 | -円/月 | -円/月 | -円/月 | -円/月 |
5万円 | -円/月 | -円/月 | -円/月 | -円/月 | -円/月 | -円/月 |
10万円 | -円/月 | -円/月 | -円/月 | -円/月 | -円/月 | -円/月 |
15万円 | -円/月 | -円/月 | -円/月 | -円/月 | -円/月 | -円/月 |
20万円 | -円/月 | -円/月 | -円/月 | -円/月 | -円/月 | -円/月 |
25万円 | -円/月 | -円/月 | -円/月 | -円/月 | -円/月 | -円/月 |
30万円 | -円/月 | -円/月 | -円/月 | -円/月 | -円/月 | -円/月 |
ボーナス払 | 35年間返済 | 30年間返済 | 25年間返済 | 20年間返済 | 15年間返済 | 10年間返済 |
|---|---|---|---|---|---|---|
0万円 | -円/月 | -円/月 | -円/月 | -円/月 | -円/月 | -円/月 |
5万円 | -円/月 | -円/月 | -円/月 | -円/月 | -円/月 | -円/月 |
10万円 | -円/月 | -円/月 | -円/月 | -円/月 | -円/月 | -円/月 |
15万円 | -円/月 | -円/月 | -円/月 | -円/月 | -円/月 | -円/月 |
20万円 | -円/月 | -円/月 | -円/月 | -円/月 | -円/月 | -円/月 |
25万円 | -円/月 | -円/月 | -円/月 | -円/月 | -円/月 | -円/月 |
30万円 | -円/月 | -円/月 | -円/月 | -円/月 | -円/月 | -円/月 |
- ・金利は、今後35年間変動しない仮定のもと元利均等返済方式で計算しております。
- ・実際の金利は、各金融機関のホームページをご参照ください。
- ・ローン契約の際には、手数料や印紙税などの諸費用が別途かかります。
- ・ボーナス支払総額が総支払額の50%を超えている場合、上記の表では「ローン不可」となります。
- ・シミュレーションを利用し、それが原因で利用者が受けたいかなる損害についても当社は一切責任を負いません。あらかじめご了承ください。










