NEW土地さいたま市桜区神田第3期 C区画 全3の詳細情報
掲載期限まであと12日
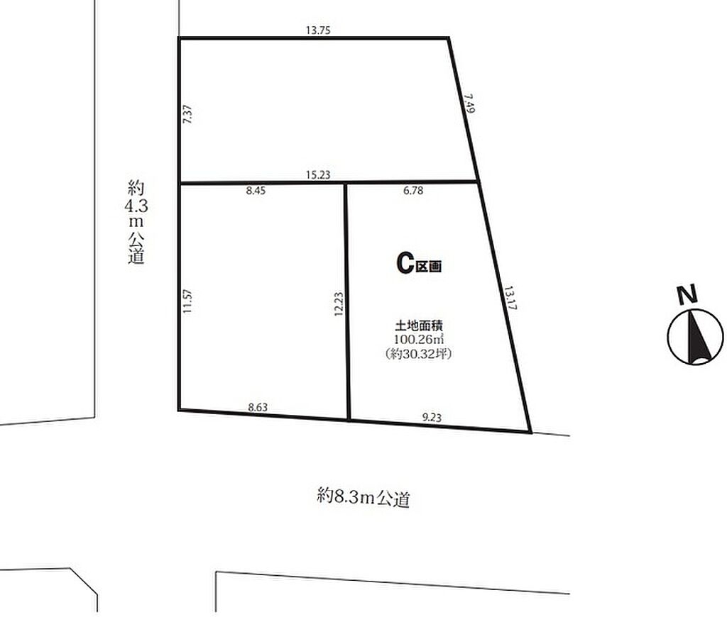
間取り・区画図(1枚)
物件概要
| 物件名 | さいたま市桜区神田第3期 C区画 全3 | ||||
|---|---|---|---|---|---|
| 所在地 | 埼玉県さいたま市桜区大字神田 | ||||
| 交通 |
JR埼京線 与野本町駅 徒歩30分 JR京浜東北・根岸線 北浦和駅 バス20分 西中下車 徒歩3分 | ||||
| 総区画数 | 3区画 | 土地権利 | 所有権 | ||
| 造成工事完了予定年月 | - | 取引態様 | 仲介 | ||
| 引渡し | 相談 | 現況 | 更地 | ||
| 地目 | 宅地 | 地勢 | - | ||
| 都市計画 | 市街化区域 | 用途地域 | 第二種中高層住居専用地域 | ||
| 建ぺい率 | 60% | 容積率 | 200% | ||
| 国土法届出 | 不要 | 私道負担・道路 | - | ||
| セットバック | 無 | 接道状況 | 一方 ( 南 8.3m 公道 間口9.2m ) | ||
| その他費用 | - | ||||
| 建築条件 | - | ||||
| 見学会 | - | ||||
| 備考 | 管理番号:100136786649 住宅用地 ご見学にあわせて、無料の外部FP相談をご利用頂けます。マイホーム購入だけでなく、老後の資金計画・お子様の教育資金等のライフシュミレーションを考慮した上で、無理のない返済計画をご提案させていただきます。 見学予約受付中!エステート白馬 大宮SQM店 当日のご見学もご相談ください。 準防火地域 景観法、宅地造成及び特定盛土等規制法 | ||||
情報公開日:2025/11/16 有効期限:2025/12/01
設備・条件
| 位置 | 南道路 | ||||
|---|---|---|---|---|---|
| 設備・サービス | 下水、都市ガス、公営水道 | ||||
| その他 | バス停3分以内、建築条件なし、更地、所有権、自由設計対応、上下水道、前面道路6m以上 | ||||
| 周辺環境 | 小学校 800m以内、複数路線 | ||||
この物件の地図・周辺環境
このアイコンは物件のおおよその位置を表しており、実際の場所と異なる場合がございます。詳しくは不動産会社に直接ご確認ください。
取り扱い不動産会社
- 住所
- 埼玉県さいたま市大宮区桜木町2丁目902 大宮サクラスクエアモール
- 電話番号
- 048-615-0588
- 営業時間
- 09:30~19:00
- 定休日
- 年中無休
- 免許番号
- 国土交通大臣(06)第005817号
- 所属団体
- (公財)東日本不動産流通機構、(公社)首都圏不動産公正取引協議会、(公社)全日本不動産協会埼玉県本部
(株)エステート白馬 南浦和店
電話で問い合わせる(無料)お急ぎの方はこちらから!
物件お問い合わせ専用ダイヤル
営業時間:09:30~19:00(定休日:年中無休) 携帯・PHS可
音声案内に従って以下の数字を入力
お問い合わせ番号:48274-1053
LIFULL HOME'S物件番号:20000431905
※お客様の電話番号は不動産会社に通知されません。
※光IP電話、及びIP電話からはご利用になれません。
※不動産会社の方からの上記電話番号によるお問合せはお断りしております。
掲載期限まであと12日
与野本町駅の口コミ
お買い物・飲食
3.0
飲食店はたくさんありますが、おしゃれなカフェは無かったような気がします。ただ、私は短期間しか住んでいないので気づかなかっただけかもしれません。Vie de Franceのようなチェーン店であれば与野本町駅構内にありますし、上島コーヒー(だったかな)のようなカフェはある。与野駅至近にもパン屋兼カフェがある。さいたま新都心のほうに行けば、おしゃれなカフェその他は腐るほどあります。
子育て・病院
5.0
治安が良く、子供も多い。 広場でたくさんのお子さんが遊んでいます。 病院は内科・呼吸器・循環器と豊富です。
さいたま市桜区の駅から土地を探す
埼玉県近隣の都道府県から土地を探す
住宅ローンシミュレーション
住宅ローン設定
物件価格
返済期間
頭金
ボーナス払(年1回)
※
※物件価格の80%以下でお借入れの場合
※50歳以下で一般団信をご選択の場合
※住宅ローン金利優遇割適用後の変動金利(全期間引き下げプラン)
※実際のお借入日の金利により変動します。
※審査の結果によっては保証付金利プランとなる場合があり、この場合は上記とは異なる金利となります。
※別途借入金額の2.20%(税込)の事務手数料が発生します。
ボーナス払 | 35年間返済 | 30年間返済 | 25年間返済 | 20年間返済 | 15年間返済 | 10年間返済 |
|---|---|---|---|---|---|---|
0万円 | -円/月 | -円/月 | -円/月 | -円/月 | -円/月 | -円/月 |
5万円 | -円/月 | -円/月 | -円/月 | -円/月 | -円/月 | -円/月 |
10万円 | -円/月 | -円/月 | -円/月 | -円/月 | -円/月 | -円/月 |
15万円 | -円/月 | -円/月 | -円/月 | -円/月 | -円/月 | -円/月 |
20万円 | -円/月 | -円/月 | -円/月 | -円/月 | -円/月 | -円/月 |
25万円 | -円/月 | -円/月 | -円/月 | -円/月 | -円/月 | -円/月 |
30万円 | -円/月 | -円/月 | -円/月 | -円/月 | -円/月 | -円/月 |
ボーナス払 | 35年間返済 | 30年間返済 | 25年間返済 | 20年間返済 | 15年間返済 | 10年間返済 |
|---|---|---|---|---|---|---|
0万円 | -円/月 | -円/月 | -円/月 | -円/月 | -円/月 | -円/月 |
5万円 | -円/月 | -円/月 | -円/月 | -円/月 | -円/月 | -円/月 |
10万円 | -円/月 | -円/月 | -円/月 | -円/月 | -円/月 | -円/月 |
15万円 | -円/月 | -円/月 | -円/月 | -円/月 | -円/月 | -円/月 |
20万円 | -円/月 | -円/月 | -円/月 | -円/月 | -円/月 | -円/月 |
25万円 | -円/月 | -円/月 | -円/月 | -円/月 | -円/月 | -円/月 |
30万円 | -円/月 | -円/月 | -円/月 | -円/月 | -円/月 | -円/月 |
- ・金利は、今後35年間変動しない仮定のもと元利均等返済方式で計算しております。
- ・実際の金利は、各金融機関のホームページをご参照ください。
- ・ローン契約の際には、手数料や印紙税などの諸費用が別途かかります。
- ・ボーナス支払総額が総支払額の50%を超えている場合、上記の表では「ローン不可」となります。
- ・シミュレーションを利用し、それが原因で利用者が受けたいかなる損害についても当社は一切責任を負いません。あらかじめご了承ください。





