NEW売地栃木県宇都宮市一条4丁目の売地の詳細情報
掲載期限まであと12日
外観・設備(1枚)
物件概要
| 物件名 | 栃木県宇都宮市一条4丁目の売地 | ||||
|---|---|---|---|---|---|
| 所在地 | 栃木県宇都宮市一条4丁目 | ||||
| 交通 |
東武宇都宮線 「東武宇都宮」駅 徒歩12分 JR東北本線 「宇都宮」駅 徒歩30分 | ||||
| 最多価格帯 | - | 販売区画数/総区画数 | -/- | ||
| 土地権利 | 所有権 | 造成工事完了予定年月 | - | ||
| 取引態様 | 一般媒介 | 引渡し | 相談 | ||
| 現況 | 上物有 | 地目 | 宅地 | ||
| 地勢 | 平坦 | 都市計画 | 市街化区域 | ||
| 用途地域 | 1種住居 | 建ぺい率 | 60.00% | ||
| 容積率 | 200.00% | 国土法届出 | - | ||
| 私道負担・道路 | - | セットバック | - | ||
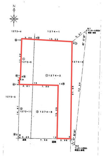
| 接道状況 | 南 4.0m 公道 接面3.9m東 2.0m 私道 | ||||
| その他費用 | - | ||||
| 建築条件 | - | ||||
| その他制限事項 | - | ||||
| 備考 | 契約・融資審査承認後に解体更地にしてお引渡し致します・一条中跡地「ミライト一条」へ徒歩4分!今後目の離せないエリアです。東武宇都宮駅まで徒歩圏内、西小まで11分、一条中まで8分と子育てに優しい立地でありながら利便性も確保できていておススメです。・仲介手数料:売買代金の3%+60,000円 / 条件等:更地渡し | ||||
情報公開日:2025/12/02 次回更新予定日:情報更新日より14日以内
この物件の地図・周辺環境
このアイコンは物件のおおよその位置を表しており、実際の場所と異なる場合がございます。詳しくは不動産会社に直接ご確認ください。
取り扱い不動産会社
- 住所
- 栃木県宇都宮市東宿郷5丁目3-9チサンマンション105
- 電話番号
- 028-908-0880
- 営業時間
- 10:00~17:30
- 定休日
- 水曜日
- 免許番号
- 栃木県知事免許(5)第4321号
- 所属団体
- (公社)栃木県宅地建物取引業協会、(公社)首都圏不動産公正取引協議会
掲載期限まであと12日
東武宇都宮駅の口コミ
子育て・病院
1.0
付近に幼稚園、保育園が多数ある。近くのパチンコ屋も取り壊され、風営法的には良いと思う。 物件の質とは関係なく、大きな病院は宇都宮市から離れる形になるので、移動に多少時間がかかる。
子育て・病院
5.0
近くに国立附属学校園や、私立学校も何校かある。転勤族が多いので地元の公立学校もレベルが高く、お受験が特別な事ではない感じです。
栃木県近隣の都道府県から土地を探す
住宅ローンシミュレーション
住宅ローン設定
物件価格
返済期間
頭金
ボーナス払(年1回)
※
※物件価格の80%以下でお借入れの場合
※50歳以下で一般団信をご選択の場合
※住宅ローン金利優遇割適用後の変動金利(全期間引き下げプラン)
※実際のお借入日の金利により変動します。
※審査の結果によっては保証付金利プランとなる場合があり、この場合は上記とは異なる金利となります。
※別途借入金額の2.20%(税込)の事務手数料が発生します。
ボーナス払 | 35年間返済 | 30年間返済 | 25年間返済 | 20年間返済 | 15年間返済 | 10年間返済 |
|---|---|---|---|---|---|---|
0万円 | -円/月 | -円/月 | -円/月 | -円/月 | -円/月 | -円/月 |
5万円 | -円/月 | -円/月 | -円/月 | -円/月 | -円/月 | -円/月 |
10万円 | -円/月 | -円/月 | -円/月 | -円/月 | -円/月 | -円/月 |
15万円 | -円/月 | -円/月 | -円/月 | -円/月 | -円/月 | -円/月 |
20万円 | -円/月 | -円/月 | -円/月 | -円/月 | -円/月 | -円/月 |
25万円 | -円/月 | -円/月 | -円/月 | -円/月 | -円/月 | -円/月 |
30万円 | -円/月 | -円/月 | -円/月 | -円/月 | -円/月 | -円/月 |
ボーナス払 | 35年間返済 | 30年間返済 | 25年間返済 | 20年間返済 | 15年間返済 | 10年間返済 |
|---|---|---|---|---|---|---|
0万円 | -円/月 | -円/月 | -円/月 | -円/月 | -円/月 | -円/月 |
5万円 | -円/月 | -円/月 | -円/月 | -円/月 | -円/月 | -円/月 |
10万円 | -円/月 | -円/月 | -円/月 | -円/月 | -円/月 | -円/月 |
15万円 | -円/月 | -円/月 | -円/月 | -円/月 | -円/月 | -円/月 |
20万円 | -円/月 | -円/月 | -円/月 | -円/月 | -円/月 | -円/月 |
25万円 | -円/月 | -円/月 | -円/月 | -円/月 | -円/月 | -円/月 |
30万円 | -円/月 | -円/月 | -円/月 | -円/月 | -円/月 | -円/月 |
- ・金利は、今後35年間変動しない仮定のもと元利均等返済方式で計算しております。
- ・実際の金利は、各金融機関のホームページをご参照ください。
- ・ローン契約の際には、手数料や印紙税などの諸費用が別途かかります。
- ・ボーナス支払総額が総支払額の50%を超えている場合、上記の表では「ローン不可」となります。
- ・シミュレーションを利用し、それが原因で利用者が受けたいかなる損害についても当社は一切責任を負いません。あらかじめご了承ください。






