売地富山県富山市畑中の売地の詳細情報
その他(9枚)
物件概要
| 物件名 | 富山県富山市畑中の売地 | ||||
|---|---|---|---|---|---|
| 所在地 | 富山県富山市畑中 | ||||
| 交通 |
【バス】畑中 バス停下車 徒歩1分 | ||||
| 最多価格帯 | - | 販売区画数/総区画数 | -/- | ||
| 土地権利 | 所有権 | 造成工事完了予定年月 | - | ||
| 取引態様 | 媒介 | 引渡し | 相談 | ||
| 現況 | 更地 | 地目 | 宅地 | ||
| 地勢 | 平坦 | 都市計画 | 市街化区域 | ||
| 用途地域 | 近隣商業 | 建ぺい率 | 80.00% | ||
| 容積率 | 200.00% | 国土法届出 | - | ||
| 私道負担・道路 | - | セットバック | - | ||
| 接道状況 | 東 6.0m 公道 接面16.9m | ||||
| その他費用 | - | ||||
| 建築条件 | - | ||||
| その他制限事項 | - | ||||
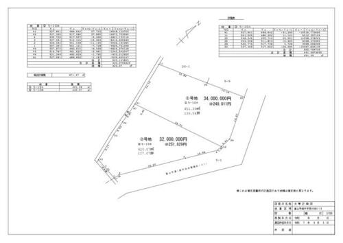
| 備考 | ■②号地:32,000,000万円(@251,829円 420.07㎡(127.07坪)■現状渡しとなります■実測売買となる為、多少、面積が増減する可能性があります■上水道・下水道の引込が必要となります■第一種中高層住居専用地域:建ぺい率60%・容積率200%・事業用地・住宅用地のどちらでも使用可能な敷地です!・仲介手数料:売買代金の3%+60,000円 / 条件等:現況渡し | ||||
情報公開日:2025/12/09 次回更新予定日:情報更新日より14日以内
この物件の地図・周辺環境
このアイコンは物件のおおよその位置を表しており、実際の場所と異なる場合がございます。詳しくは不動産会社に直接ご確認ください。
取り扱い不動産会社
- 住所
- 石川県野々市市本町6丁目23番33号2番館
- 電話番号
- 076-225-5334
- 営業時間
- 10:00~18:00
- 定休日
- 水曜日・日曜日・祝日・年末年始、GW、夏季休暇
- 免許番号
- 石川県知事免許(1)第4543号
- 所属団体
- (公社)石川県宅地建物取引業協会、北陸不動産公正取引協議会
掲載期限まであと1日
富山市の口コミ
お買い物・飲食
4.0
商店街はアーケードがあり、日常の買い物では雨に濡れずに大変便利。 食事も、朝から夜ご飯、更には二次会まで行く場所があり便利。
子育て・病院
3.0
駅前に内科や歯医者さんはいくつかあった。小さな図書館や、市が運営していると思われる子供用のプレイルームみたいな場所もあった。 、
住宅ローンシミュレーション
住宅ローン設定
物件価格
返済期間
頭金
ボーナス払(年1回)
※
※物件価格の80%以下でお借入れの場合
※50歳以下で一般団信をご選択の場合
※住宅ローン金利優遇割適用後の変動金利(全期間引き下げプラン)
※実際のお借入日の金利により変動します。
※審査の結果によっては保証付金利プランとなる場合があり、この場合は上記とは異なる金利となります。
※別途借入金額の2.20%(税込)の事務手数料が発生します。
ボーナス払 | 35年間返済 | 30年間返済 | 25年間返済 | 20年間返済 | 15年間返済 | 10年間返済 |
|---|---|---|---|---|---|---|
0万円 | -円/月 | -円/月 | -円/月 | -円/月 | -円/月 | -円/月 |
5万円 | -円/月 | -円/月 | -円/月 | -円/月 | -円/月 | -円/月 |
10万円 | -円/月 | -円/月 | -円/月 | -円/月 | -円/月 | -円/月 |
15万円 | -円/月 | -円/月 | -円/月 | -円/月 | -円/月 | -円/月 |
20万円 | -円/月 | -円/月 | -円/月 | -円/月 | -円/月 | -円/月 |
25万円 | -円/月 | -円/月 | -円/月 | -円/月 | -円/月 | -円/月 |
30万円 | -円/月 | -円/月 | -円/月 | -円/月 | -円/月 | -円/月 |
ボーナス払 | 35年間返済 | 30年間返済 | 25年間返済 | 20年間返済 | 15年間返済 | 10年間返済 |
|---|---|---|---|---|---|---|
0万円 | -円/月 | -円/月 | -円/月 | -円/月 | -円/月 | -円/月 |
5万円 | -円/月 | -円/月 | -円/月 | -円/月 | -円/月 | -円/月 |
10万円 | -円/月 | -円/月 | -円/月 | -円/月 | -円/月 | -円/月 |
15万円 | -円/月 | -円/月 | -円/月 | -円/月 | -円/月 | -円/月 |
20万円 | -円/月 | -円/月 | -円/月 | -円/月 | -円/月 | -円/月 |
25万円 | -円/月 | -円/月 | -円/月 | -円/月 | -円/月 | -円/月 |
30万円 | -円/月 | -円/月 | -円/月 | -円/月 | -円/月 | -円/月 |
- ・金利は、今後35年間変動しない仮定のもと元利均等返済方式で計算しております。
- ・実際の金利は、各金融機関のホームページをご参照ください。
- ・ローン契約の際には、手数料や印紙税などの諸費用が別途かかります。
- ・ボーナス支払総額が総支払額の50%を超えている場合、上記の表では「ローン不可」となります。
- ・シミュレーションを利用し、それが原因で利用者が受けたいかなる損害についても当社は一切責任を負いません。あらかじめご了承ください。









