(株)カワモトホームの詳細情報
| アクセス | 西武池袋・豊島線/入間市 徒歩14分 | ||||
|---|---|---|---|---|---|
| 住所 | 埼玉県入間市豊岡4丁目4-1 | ||||
| 営業時間 | 9:00~16:00 | ||||
| 定休日 | 火曜日、水曜日 | ||||
| 電話番号 | 04-2966-1600 | ||||
(株)カワモトホームの周辺地図
ニフティ不動産に掲載中の物件情報
| 1R~1LDK | 2K~2LDK | 3K~3LDK | 4K~4LDK | 5K~ | |
|---|---|---|---|---|---|
| 賃貸 | - | - | - | - | - |
| 新築マンション | - | - | - | - | - |
| 中古マンション | - | 1件 | - | - | - |
| 新築戸建 | - | - | - | - | - |
| 中古戸建 | - | - | - | - | - |
| ~50㎡ | 50~80㎡ | 80~100㎡ | 100~130㎡ | 130㎡~ | |
| 土地 | - | - | - | - | 2件 |
不動産会社情報の精度向上にご協力をお願いいたします。不動産会社情報に誤りがある場合はこちらよりご連絡ください。
(株)カワモトホームの物件一覧
現在の検索条件
並び替え
2件中1〜2件を表示
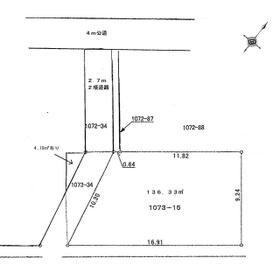
土地・売地埼玉県入間市東町2丁目
所在地埼玉県入間市東町2丁目
交通西武池袋・豊島線/入間市駅 徒歩25分
価格
土地面積
建ぺい率
容積率
お気に入り
詳細
1,350万円
136.33m²
60%
200%
詳細を見る 土地・売地埼玉県狭山市大字笹井
所在地埼玉県狭山市大字笹井
交通西武池袋・豊島線/仏子駅 徒歩25分
価格
土地面積
建ぺい率
容積率
お気に入り
詳細
4,110万円
1044.0m²
-%
-%
詳細を見る
2件中1〜2件を表示

