辻開発の詳細情報
| アクセス | 鹿児島本線/植木 徒歩17分 | ||||
|---|---|---|---|---|---|
| 住所 | 熊本県熊本市北区植木町滴水1646-3 | ||||
| 営業時間 | - | ||||
| 定休日 | - | ||||
| 電話番号 | 096-272-1016 | ||||
辻開発の周辺地図
ニフティ不動産に掲載中の物件情報
| 1R~1LDK | 2K~2LDK | 3K~3LDK | 4K~4LDK | 5K~ | |
|---|---|---|---|---|---|
| 賃貸 | 1件 | - | 1件 | - | - |
| 新築マンション | - | - | - | - | - |
| 中古マンション | - | - | - | - | - |
| 新築戸建 | - | - | - | - | - |
| 中古戸建 | - | - | - | - | 1件 |
| ~50㎡ | 50~80㎡ | 80~100㎡ | 100~130㎡ | 130㎡~ | |
| 土地 | - | - | - | - | 1件 |
不動産会社情報の精度向上にご協力をお願いいたします。不動産会社情報に誤りがある場合はこちらよりご連絡ください。
辻開発の物件一覧
現在の検索条件
並び替え
4件中1〜4件を表示
マンション・アパートサンガーレンハイツ 1階 築41年4ヶ月の賃貸物件
- 熊本市健軍線/新水前寺駅前駅 徒歩5分
熊本県熊本市中央区水前寺1丁目
- 総階数
- 4階建
- 築年数
- 41年4ヶ月
- 建物構造
- 鉄骨造
ペット相談間取り図
階数
間取り
専有面積
賃料
管理費等
敷金
礼金
特徴
お気に入り
詳細
1階
1K
21.0㎡
3.1万円
3,000円
- 敷
- 1.0ヶ月
- 礼
- 1.0ヶ月
ペット相談
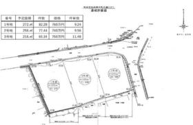
詳細を見る ほかの部屋を検索中…ほかの部屋は見つかりませんでした土地・売地熊本県熊本市北区植木町木留
所在地熊本県熊本市北区植木町木留
交通JR鹿児島本線/植木駅 徒歩29分
価格
土地面積
建ぺい率
容積率
お気に入り
詳細
690万円
216.0m²
40%
80%
詳細を見る マンション・アパートサンガーデンソレーユF棟 2階 築28年4ヶ月の賃貸物件
熊本県合志市幾久富
- 総階数
- 2階建
- 築年数
- 28年4ヶ月
- 建物構造
- 軽量鉄骨造
バス・トイレ別駐車場ありペット相談間取り図
階数
間取り
専有面積
賃料
管理費等
敷金
礼金
特徴
お気に入り
詳細
2階
3DK
60.0㎡
6万円
2,000円
- 敷
- 2.0ヶ月
- 礼
- 不要
バス・トイレ別
駐車場あり
ペット相談
詳細を見る ほかの部屋を検索中…ほかの部屋は見つかりませんでした中古一戸建て熊本県熊本市北区植木町豊田
所在地熊本県熊本市北区植木町豊田
価格
間取り
建物面積
土地面積
築年月
階建
お気に入り
詳細
500万円
6DK
126.72m²
205.7m²
43年4ヶ月
2階建
詳細を見る
4件中1〜4件を表示

