売地千葉県松戸市日暮7丁目の売地の詳細情報
外観・設備(1枚)
物件概要
| 物件名 | 千葉県松戸市日暮7丁目の売地 | ||||
|---|---|---|---|---|---|
| 所在地 | 千葉県松戸市日暮7丁目 | ||||
| 交通 |
JR武蔵野線 「新八柱」駅 徒歩13分 京成松戸線 「八柱」駅 徒歩13分 京成松戸線 「みのり台」駅 徒歩25分 | ||||
| 最多価格帯 | - | 販売区画数/総区画数 | -/- | ||
| 土地権利 | 所有権 | 造成工事完了予定年月 | - | ||
| 取引態様 | 専任媒介 | 引渡し | 即時 | ||
| 現況 | 更地 | 地目 | 雑種地 | ||
| 地勢 | 平坦 | 都市計画 | 市街化区域 | ||
| 用途地域 | 1種低層 | 建ぺい率 | 50.00% | ||
| 容積率 | 100.00% | 国土法届出 | - | ||
| 私道負担・道路 | - | セットバック | - | ||
| 接道状況 | 西 8.0m 公道 | ||||
| その他費用 | - | ||||
| 建築条件 | - | ||||
| その他制限事項 | - | ||||
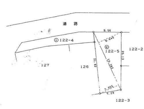
| 備考 | 八柱駅徒歩約13分・平坦地・現駐車場・前面道路には上下水道・都市ガス等が入っています・物件のお問合せは担当営業の宮川まで:090-5121-0814(土地ですので住居表示がありません、来さしている住所は右隣の家の住居表示です。本物件の地番は日暮7-122-4です)・私道負担:なし・八柱駅徒歩約13分・閑静な住宅街・現在駐車場となっています。平坦です・前面道路には上下水道・都市ガス管等が埋設されています・物件のお問合せは宮川まで:090-5121-0814 / 条件等:現況渡し | ||||
情報公開日:2025/09/11 次回更新予定日:情報更新日より14日以内
取り扱い不動産会社
- 住所
- 千葉県松戸市二十世紀が丘美野里町25-401
- 電話番号
- 047-369-7144
- 営業時間
- 10:00~18:00
- 定休日
- 年中無休
- 免許番号
- 千葉県知事免許(1)第18945号
- 所属団体
- (公社)全日本不動産協会、(公社)首都圏不動産公正取引協議会
掲載期限まであと3日
新八柱駅の口コミ
お買い物・飲食
4.0
家族でランチできるお店が駅前に少ない。 居酒屋などは多くあるので、夜の飲食には困らないが、もっとチェーン店が増えてほしい。
子育て・病院
5.0
近隣に大きめの公園があるので、子供を遊ばせるには良い。大きな病院となると少し離れているが、クリニックなどは近隣にあるため、風邪にかかった場合などには困ることはない。
千葉県近隣の都道府県から土地を探す
住宅ローンシミュレーション
住宅ローン設定
物件価格
返済期間
頭金
ボーナス払(年1回)
※
※物件価格の80%以下でお借入れの場合
※50歳以下で一般団信をご選択の場合
※住宅ローン金利優遇割適用後の変動金利(全期間引き下げプラン)
※実際のお借入日の金利により変動します。
※審査の結果によっては保証付金利プランとなる場合があり、この場合は上記とは異なる金利となります。
※別途借入金額の2.20%(税込)の事務手数料が発生します。
ボーナス払 | 35年間返済 | 30年間返済 | 25年間返済 | 20年間返済 | 15年間返済 | 10年間返済 |
|---|---|---|---|---|---|---|
0万円 | -円/月 | -円/月 | -円/月 | -円/月 | -円/月 | -円/月 |
5万円 | -円/月 | -円/月 | -円/月 | -円/月 | -円/月 | -円/月 |
10万円 | -円/月 | -円/月 | -円/月 | -円/月 | -円/月 | -円/月 |
15万円 | -円/月 | -円/月 | -円/月 | -円/月 | -円/月 | -円/月 |
20万円 | -円/月 | -円/月 | -円/月 | -円/月 | -円/月 | -円/月 |
25万円 | -円/月 | -円/月 | -円/月 | -円/月 | -円/月 | -円/月 |
30万円 | -円/月 | -円/月 | -円/月 | -円/月 | -円/月 | -円/月 |
ボーナス払 | 35年間返済 | 30年間返済 | 25年間返済 | 20年間返済 | 15年間返済 | 10年間返済 |
|---|---|---|---|---|---|---|
0万円 | -円/月 | -円/月 | -円/月 | -円/月 | -円/月 | -円/月 |
5万円 | -円/月 | -円/月 | -円/月 | -円/月 | -円/月 | -円/月 |
10万円 | -円/月 | -円/月 | -円/月 | -円/月 | -円/月 | -円/月 |
15万円 | -円/月 | -円/月 | -円/月 | -円/月 | -円/月 | -円/月 |
20万円 | -円/月 | -円/月 | -円/月 | -円/月 | -円/月 | -円/月 |
25万円 | -円/月 | -円/月 | -円/月 | -円/月 | -円/月 | -円/月 |
30万円 | -円/月 | -円/月 | -円/月 | -円/月 | -円/月 | -円/月 |
- ・金利は、今後35年間変動しない仮定のもと元利均等返済方式で計算しております。
- ・実際の金利は、各金融機関のホームページをご参照ください。
- ・ローン契約の際には、手数料や印紙税などの諸費用が別途かかります。
- ・ボーナス支払総額が総支払額の50%を超えている場合、上記の表では「ローン不可」となります。
- ・シミュレーションを利用し、それが原因で利用者が受けたいかなる損害についても当社は一切責任を負いません。あらかじめご了承ください。
















