NEW売地香川県木田郡三木町大字氷上の売地の詳細情報
掲載期限まであと12日
外観・設備(2枚)
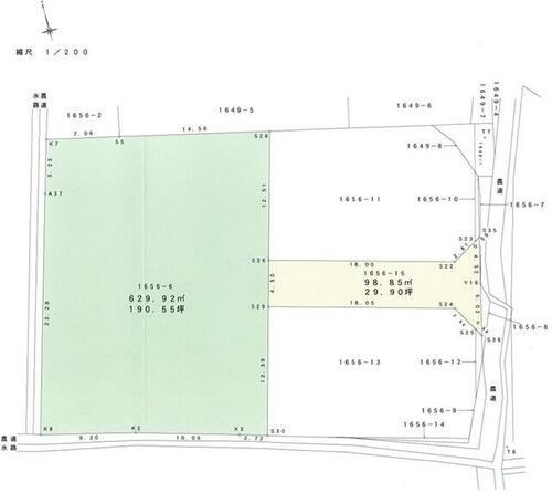
物件概要
| 物件名 | 香川県木田郡三木町大字氷上の売地 | ||||
|---|---|---|---|---|---|
| 所在地 | 香川県木田郡三木町大字氷上 | ||||
| 交通 |
高松琴平電鉄長尾線 「学園通り」駅 徒歩23分 高松琴平電鉄長尾線 「平木」駅 徒歩27分 高松琴平電鉄長尾線 「白山」駅 徒歩24分 | ||||
| 最多価格帯 | - | 販売区画数/総区画数 | -/- | ||
| 土地権利 | 所有権 | 造成工事完了予定年月 | - | ||
| 取引態様 | 専任媒介 | 引渡し | 即時 | ||
| 現況 | その他 | 地目 | 田 | ||
| 地勢 | 平坦 | 都市計画 | 非線引区域 | ||
| 用途地域 | 無指定 | 建ぺい率 | 70.00% | ||
| 容積率 | 200.00% | 国土法届出 | - | ||
| 私道負担・道路 | 備考に記載 | セットバック | - | ||
| 接道状況 | 東 4.0m 接面4.5m | ||||
| その他費用 | - | ||||
| 建築条件 | - | ||||
| その他制限事項 | - | ||||
| 備考 | 私道負担:あり98.85平米(共有持分:1/2)・◆家庭用畑付き住宅用地!◆190坪の広い土地◆田舎にゆったりと平屋を建てて畑で農作業を楽しみたい夫婦におすすめです。・仲介手数料:330,000円 / 条件等:現況渡し | ||||
情報公開日:2026/04/23 次回更新予定日:情報更新日より14日以内
この物件の地図・周辺環境
このアイコンは物件のおおよその位置を表しており、実際の場所と異なる場合がございます。詳しくは不動産会社に直接ご確認ください。
取り扱い不動産会社
- 住所
- 香川県高松市三条町623-1
- 電話番号
- 087-866-1224
- 営業時間
- 09:00~18:00
- 定休日
- 水曜日・年末年始・夏季休暇
- 免許番号
- 香川県知事免許(2)第4378号
- 所属団体
- (公社)全日本不動産協会、四国地区不動産公正取引協議会
掲載期限まであと12日
学園通り駅の口コミ
お買い物・飲食
3.0
主要駅前のような、コンビニや飲食店があちこちにあると言うのを求めたら少ないとは思いますが、生活には困らないと思います。
子育て・病院
4.0
病院は、小児科 歯科 眼科 内科 耳鼻咽喉科 総合病院などがあり 病院には、余り困らないと思います。 いざとなれば医大もあります。
住宅ローンシミュレーション
住宅ローン設定
物件価格
返済期間
頭金
ボーナス払(年1回)
※
※物件価格の80%以下でお借入れの場合
※50歳以下で一般団信をご選択の場合
※住宅ローン金利優遇割適用後の変動金利(全期間引き下げプラン)
※実際のお借入日の金利により変動します。
※審査の結果によっては保証付金利プランとなる場合があり、この場合は上記とは異なる金利となります。
※別途借入金額の2.20%(税込)の事務手数料が発生します。
ボーナス払 | 35年間返済 | 30年間返済 | 25年間返済 | 20年間返済 | 15年間返済 | 10年間返済 |
|---|---|---|---|---|---|---|
0万円 | -円/月 | -円/月 | -円/月 | -円/月 | -円/月 | -円/月 |
5万円 | -円/月 | -円/月 | -円/月 | -円/月 | -円/月 | -円/月 |
10万円 | -円/月 | -円/月 | -円/月 | -円/月 | -円/月 | -円/月 |
15万円 | -円/月 | -円/月 | -円/月 | -円/月 | -円/月 | -円/月 |
20万円 | -円/月 | -円/月 | -円/月 | -円/月 | -円/月 | -円/月 |
25万円 | -円/月 | -円/月 | -円/月 | -円/月 | -円/月 | -円/月 |
30万円 | -円/月 | -円/月 | -円/月 | -円/月 | -円/月 | -円/月 |
ボーナス払 | 35年間返済 | 30年間返済 | 25年間返済 | 20年間返済 | 15年間返済 | 10年間返済 |
|---|---|---|---|---|---|---|
0万円 | -円/月 | -円/月 | -円/月 | -円/月 | -円/月 | -円/月 |
5万円 | -円/月 | -円/月 | -円/月 | -円/月 | -円/月 | -円/月 |
10万円 | -円/月 | -円/月 | -円/月 | -円/月 | -円/月 | -円/月 |
15万円 | -円/月 | -円/月 | -円/月 | -円/月 | -円/月 | -円/月 |
20万円 | -円/月 | -円/月 | -円/月 | -円/月 | -円/月 | -円/月 |
25万円 | -円/月 | -円/月 | -円/月 | -円/月 | -円/月 | -円/月 |
30万円 | -円/月 | -円/月 | -円/月 | -円/月 | -円/月 | -円/月 |
- ・金利は、今後35年間変動しない仮定のもと元利均等返済方式で計算しております。
- ・実際の金利は、各金融機関のホームページをご参照ください。
- ・ローン契約の際には、手数料や印紙税などの諸費用が別途かかります。
- ・ボーナス支払総額が総支払額の50%を超えている場合、上記の表では「ローン不可」となります。
- ・シミュレーションを利用し、それが原因で利用者が受けたいかなる損害についても当社は一切責任を負いません。あらかじめご了承ください。
















