5~6000万円台で探す東海の土地・売地・宅地・分譲地
東海の5~6000万円台の土地・売地・宅地・分譲地をさまざまな条件から検索
並び替え
&
土地・売地 三重県松阪市中町6丁目
土地・売地 愛知県名古屋市東区筒井2丁目
土地・売地 愛知県名古屋市千種区末盛通5丁目
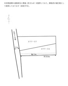
土地・売地 愛知県名古屋市瑞穂区岳見町
土地・売地 静岡県静岡市清水区中之郷2丁目
土地・売地 愛知県名古屋市名東区石が根町
土地・売地 静岡県静岡市清水区北脇新田
土地・売地 岐阜県不破郡関ケ原町大字関ケ原
土地・売地 愛知県豊橋市前芝町字西青
土地・売地 静岡県浜松市中央区広沢2丁目
土地・売地 愛知県西春日井郡豊山町大字豊場
土地・売地 愛知県知多郡阿久比町大字福住字井堀
土地・売地 愛知県安城市住吉町
NEW土地・売地 静岡県静岡市駿河区中田2丁目
土地・売地 愛知県安城市橋目町茶臼
土地・売地 愛知県刈谷市今川町
土地・売地 愛知県大府市若草町3丁目
土地・売地 静岡県浜松市中央区佐鳴台6丁目
土地・売地 愛知県名古屋市緑区鳴海町字山ノ神
土地・売地 岐阜県大垣市藤江町5丁目
土地・売地 静岡県静岡市駿河区稲川3丁目
土地・売地 愛知県名古屋市中川区供米田
土地・売地 愛知県豊田市竹町谷間
土地・売地 愛知県名古屋市南区白雲町
土地・売地 愛知県春日井市上条町10丁目
土地・売地 愛知県名古屋市港区錦町
土地・売地 愛知県名古屋市南区柴田町5丁目
土地・売地 愛知県名古屋市天白区音聞山
土地・売地 愛知県名古屋市北区平安
土地・売地 三重県桑名市大字江場
土地・売地 愛知県名古屋市天白区鴻の巣
土地・売地 愛知県弥富市鮫ケ地1丁目
土地・売地 三重県桑名市大字安永
土地・売地 愛知県北名古屋市熊之庄十二社
土地・売地 愛知県名古屋市昭和区鶴舞4丁目
掲載パートナー一覧
ニフティ不動産の東海の物件情報は、物件一括検索参加パートナーが提供しています。ニフティ株式会社は物件の内容について一切の責任を負いません。
おうち時間を豊かにするヒント
上野まで30分圏内!電車一本(乗り換えなし)で行ける穴場駅は?一人暮らし・二人暮らし・ファミリー向けの賃貸相場
上野は、埼玉県や千葉県、北関東方面に直通する、東京の主要なターミナル駅です。JR在来線と東京メトロの7路線が乗り入れ、京成上野駅も徒歩2分の距離に隣接しています。
鍋の具材おすすめ36選!残った鍋のアレンジや余り食材のリメイクレシピも紹介
寒い季節がやってくると食べたくなるのが「鍋」ですよね。 野菜・肉・魚・豆腐など、さまざまな食材を一つの鍋で楽しめるので、栄養をたっぷり摂れるのが魅力的。
「年収500万円の場合、家賃はいくらが妥当?」 「年収に対して家賃が高すぎるのでは?」
火災保険で屋根修理ができる条件は?箇所別の費用相場や申請手順、業者選びまで徹底解説
台風や大雪で屋根が破損し、「火災保険で修理できるのだろうか」「申請手続きが複雑そうで不安」と感じた経験はありませんか? 火災保険は火事だけでなく、風災や雪災などの自然災害による損傷も補償される場合があります。 ただし、経年劣化との見分けが難しく、申請に必要な書類が多いため、しっかりと事前準備を進めることが必要です。











































































