ニフティ不動産売買物件検索アプリでサクサクお部屋探し

坂駅(広島県)周辺の即引渡し可の土地・売地・宅地・分譲地を検索するならニフティ不動産。あなたにピッタリのお部屋を探そう!

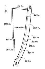
即引渡し可で探す坂駅(広島県)近くの土地・売地・宅地・分譲地

坂駅の即引渡し可の土地・売地・宅地・分譲地をさまざまな条件から検索

現在の選択条件:-

並び替え

1(1〜1件を表示)

  • <<
  • <
  • 1
  • >
  • >>
理想の最新マンションをスーモで

1(1〜1件を表示)

  • <<
  • <
  • 1
  • >
  • >>

坂駅近くの駅から土地を探す

掲載パートナー一覧

  • LIFULL HOME'S
  • at home web
  • SUUMO(スーモ)
  • 住環境ホームアドパーク
  • ピタットハウス
  • Yahoo!不動産
  • メジャーセブン
  • 住まい探しの窓口

ニフティ不動産の坂駅の物件情報は、物件一括検索参加パートナーが提供しています。ニフティ株式会社は物件の内容について一切の責任を負いません。

おうち時間を豊かにするヒント


Loading