ニフティ不動産売買物件検索アプリでサクサクお部屋探し

熊谷市(埼玉県)から<新着>土地・売地・宅地・分譲地(宅地・分譲地)を検索するならニフティ不動産。あなたにピッタリのお部屋を探そう!

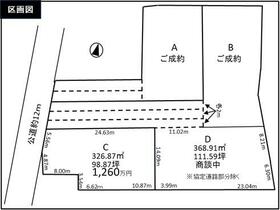
<新着>(宅地・分譲地)で探す熊谷市(埼玉県)の土地・売地・宅地・分譲地

熊谷市の<新着>土地・売地・宅地・分譲地(宅地・分譲地)をさまざまな条件から検索

現在の選択条件:-

並び替え

5(1〜5件を表示)

  • <<
  • <
  • 1
  • >
  • >>
不動産売却一括査定(無料)

5(1〜5件を表示)

  • <<
  • <
  • 1
  • >
  • >>

熊谷市にある駅から土地を探す

高崎線
湘南新宿ライン高海
秩父鉄道本線
ソシオ流通センター熊谷上熊谷石原ひろせ野鳥の森広瀬川原大麻生
上越新幹線
北陸新幹線

掲載パートナー一覧

  • LIFULL HOME'S
  • at home web
  • SUUMO(スーモ)
  • 住環境ホームアドパーク
  • ピタットハウス
  • Yahoo!不動産
  • メジャーセブン
  • 住まい探しの窓口

ニフティ不動産の熊谷市の物件情報は、物件一括検索参加パートナーが提供しています。ニフティ株式会社は物件の内容について一切の責任を負いません。

おうち時間を豊かにするヒント


Loading