売地東京都足立区足立1丁目の売地の詳細情報
その他(5枚)
物件概要
| 物件名 | 東京都足立区足立1丁目の売地 | ||||
|---|---|---|---|---|---|
| 所在地 | 東京都足立区足立1丁目 | ||||
| 交通 |
東武伊勢崎・大師線 「五反野」駅 徒歩9分 東武伊勢崎・大師線 「小菅」駅 徒歩14分 つくばエクスプレス 「北千住」駅 徒歩27分 | ||||
| 最多価格帯 | - | 販売区画数/総区画数 | -/- | ||
| 土地権利 | 所有権 | 造成工事完了予定年月 | - | ||
| 取引態様 | 売主 | 引渡し | 即時 | ||
| 現況 | 更地 | 地目 | 宅地 | ||
| 地勢 | - | 都市計画 | 市街化区域 | ||
| 用途地域 | 商業地域 | 建ぺい率 | 80.00% | ||
| 容積率 | 500.00% | 国土法届出 | - | ||
| 私道負担・道路 | - | セットバック | - | ||
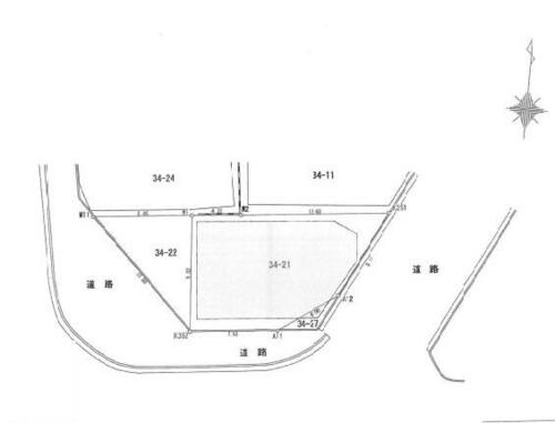
| 接道状況 | 東 9.0m 公道 接面8.1m南 11.0m 公道 接面7.5m西 33.0m 公道 接面12.8m | ||||
| その他費用 | - | ||||
| 建築条件 | - | ||||
| その他制限事項 | - | ||||
| 備考 | 他交通手段:つくばエクスプレス北千住駅バス8分千住車庫前停歩1分・【三方角地】五反野駅徒歩5分、バス停目の前、更地渡し、参考プランあり(8階建て 32戸)・仲介手数料:不要 / 条件等:更地渡し | ||||
情報公開日:2026/04/21 次回更新予定日:情報更新日より14日以内
この物件の地図・周辺環境
このアイコンは物件のおおよその位置を表しており、実際の場所と異なる場合がございます。詳しくは不動産会社に直接ご確認ください。
取り扱い不動産会社
- 住所
- 東京都渋谷区道玄坂1丁目15-3プリメーラ道玄坂5階
- 電話番号
- 03-6555-5273
- 営業時間
- 10:00~20:00
- 定休日
- 毎週日曜日・年末年始
- 免許番号
- 東京都知事免許(1)第106453号
- 所属団体
- (公社)全日本不動産協会、(公社)首都圏不動産公正取引協議会
掲載期限まであと8日
五反野駅の口コミ
治安・安全
5.0
足立区は危険なのではという偏見がありましたが、住んでみるととてもいい街でした。3-4年で事件などが身近で起こったことはありませんでしたし、以前お財布を落としてしまった際にも、私が警察に問い合わせた時にはすでに届いていました。
お買い物・飲食
3.0
やっぱり店は多くないところですね。スーパーも早めに閉めましたので、残業や遊びでやや遅めに帰ったらコンビニしかなかったのちょっと不便と思いました。
住宅ローンシミュレーション
住宅ローン設定
物件価格
返済期間
頭金
ボーナス払(年1回)
※
※物件価格の80%以下でお借入れの場合
※50歳以下で一般団信をご選択の場合
※住宅ローン金利優遇割適用後の変動金利(全期間引き下げプラン)
※実際のお借入日の金利により変動します。
※審査の結果によっては保証付金利プランとなる場合があり、この場合は上記とは異なる金利となります。
※別途借入金額の2.20%(税込)の事務手数料が発生します。
ボーナス払 | 35年間返済 | 30年間返済 | 25年間返済 | 20年間返済 | 15年間返済 | 10年間返済 |
|---|---|---|---|---|---|---|
0万円 | -円/月 | -円/月 | -円/月 | -円/月 | -円/月 | -円/月 |
5万円 | -円/月 | -円/月 | -円/月 | -円/月 | -円/月 | -円/月 |
10万円 | -円/月 | -円/月 | -円/月 | -円/月 | -円/月 | -円/月 |
15万円 | -円/月 | -円/月 | -円/月 | -円/月 | -円/月 | -円/月 |
20万円 | -円/月 | -円/月 | -円/月 | -円/月 | -円/月 | -円/月 |
25万円 | -円/月 | -円/月 | -円/月 | -円/月 | -円/月 | -円/月 |
30万円 | -円/月 | -円/月 | -円/月 | -円/月 | -円/月 | -円/月 |
ボーナス払 | 35年間返済 | 30年間返済 | 25年間返済 | 20年間返済 | 15年間返済 | 10年間返済 |
|---|---|---|---|---|---|---|
0万円 | -円/月 | -円/月 | -円/月 | -円/月 | -円/月 | -円/月 |
5万円 | -円/月 | -円/月 | -円/月 | -円/月 | -円/月 | -円/月 |
10万円 | -円/月 | -円/月 | -円/月 | -円/月 | -円/月 | -円/月 |
15万円 | -円/月 | -円/月 | -円/月 | -円/月 | -円/月 | -円/月 |
20万円 | -円/月 | -円/月 | -円/月 | -円/月 | -円/月 | -円/月 |
25万円 | -円/月 | -円/月 | -円/月 | -円/月 | -円/月 | -円/月 |
30万円 | -円/月 | -円/月 | -円/月 | -円/月 | -円/月 | -円/月 |
- ・金利は、今後35年間変動しない仮定のもと元利均等返済方式で計算しております。
- ・実際の金利は、各金融機関のホームページをご参照ください。
- ・ローン契約の際には、手数料や印紙税などの諸費用が別途かかります。
- ・ボーナス支払総額が総支払額の50%を超えている場合、上記の表では「ローン不可」となります。
- ・シミュレーションを利用し、それが原因で利用者が受けたいかなる損害についても当社は一切責任を負いません。あらかじめご了承ください。





