飯給駅(千葉県)周辺の土地・売地・宅地・分譲地を検索するならニフティ不動産。あなたにピッタリのお部屋を探そう!
飯給駅(千葉県)近くの土地・売地・宅地・分譲地
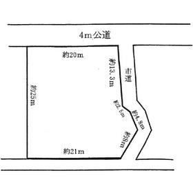
飯給駅の土地・売地・宅地・分譲地をさまざまな条件から検索
並び替え
&
2件(1〜2件を表示)
2件(1〜2件を表示)
飯給駅(千葉県)近くの土地・売地・宅地・分譲地飯給駅の土地・売地・宅地・分譲地をさまざまな条件から検索
ニフティ不動産の飯給駅の物件情報は、物件一括検索参加パートナーが提供しています。ニフティ株式会社は物件の内容について一切の責任を負いません。
おうち時間を豊かにするヒント
【2025年最新】加古川市で外壁塗装の助成金・補助金は使える?申請手順や業者の選び方を解説
加古川市で外壁塗装を検討するとき、数十万円から100万円を超える工事費用は、家計にとって決して軽い負担ではありません。「できるだけ出費を抑えたい」と考え、利用できる助成金や補助金がないか調べる方も多いでしょう。
2025年12月現在、加古川市には外壁塗装に特化した助成金制度はありません。
ただし、空き家改修や耐震改修など、特定の条件を満たせば外壁塗装も補助対象に含まれる制度があります。